| 8.2 | Streckenverzweigung mit gemeinsamen Nullpunkt Berlin Nordbahnhof |
| 19 | Berlin Nordbf 0,0 - Berlin-Schönholz 3,85 - Löwenberg Reichsb (Mark) 44,25 - Neustrelitz Reichsb 98,53 - Neubrandenburg 133,73 - Stralsund 222,64 - Saßnitz 272,72 - Saßnitz Hafen 274,46 (1937/1943) |
| 19 | Berlin Eberswalder Straße 0,01 - Berlin-Schönholz 3,85 - Grenze Berlin West/DDR 16,31 - Oranienburg 27,41 - Löwenberg (Mark) 44,25 - Neustrelitz 98,53 -Neubrandenburg 133,73 - Stralsund 222,64 - Saßnitz 272,72 - Saßnitz Hafen 274,46 (1967) |
| 127 | (Berlin Nordbf 0,0) - Löwenberg Reichsb (Mark) 44,25 - Templin 77,32 - Fährkrug 82,30 - Prenzlau 116,79 (1937/1943) |
| 127 | (Berlin Eberswalder Straße 0,01) - Löwenberg (Mark) 44,25 - Templin 77,32 - Fährkrug 82,30 - Prenzlau 119,42 (1967) |
| 134 | [Berlin Nordbf 0,0 - Löwenberg Reichsb (Mark) 44,25 - Templin 77,32] - Fährkrug 82,30 - Fürstenwerder Reichsb 114,06 (1937/1943) |
| (Berlin Nordbf 0,0) - Berlin-Schönholz 3,85 - Kremmen 37,24 (1937/1943) | |
| (Berlin Eberswalder Straße 0,01) - Berlin-Schönholz 3,85 - Grenze Berlin West/DDR 17,453 - Henningsdorf (b Berlin) 19,48 - Kremmen 37,24 (1967) | |
| Stralsund Hafenbahn |

Auszug Streckenkarte 1938
Quelle: [1]
Berlin Nordbahnhof - Löwenberg Reichsbahn (Mark) - Stralsund - Sassnitz Hafen
Teil 3: km 200,0 - Streckenende
(Berlin Nordbahnhof) - Löwenberg Reichsbahn (Mark) - Fährkrug - Prenzlau
[Berlin Nordbahnhof - Löwenberg Reichsbahn (Mark)] - Fährkrug - Fürstenberg Reichsbahn
(Berlin Nordbahnhof) - Berlin-Schönholz - Kremmen
Kilometrierung in Stralsund und auf der Strecke Stralsund - Saßnitz
Erklärung der Umkilometrierung und der Kilometrierungssprünge
Stand der Kilometrierung: 1937/1943
| Berlin Nordbahnhof | 0,01 | ||||||
| ▼ | |||||||
| Berlin-Schönholz | 3,85 | ► | Kremmen | 37,24 | |||
| ▼ | |||||||
| Löwenberg Reichsbahn (Mark) | 44,25 | ► | Templin | 77,32 | |||
| ▼ | |||||||
| ▼ | Fährkrug | 82,30 | ► | Fürstenwerder Reichsbahn | 114,06 | ||
| ▼ | |||||||
| ▼ | Prenzlau | 116,79 | |||||
| ▼ | |||||||
| Neustrelitz Reichsbahn | 98,53 | ||||||
| ▼ | |||||||
| Neubrandenburg | 133,73 | ||||||
| ▼ | |||||||
| Stralsund | 222,64 | ||||||
| ▼ | |||||||
| Abzw Franzburger Kleinbahnen | 223,11 | ► | Hafen | 226,03 | |||
| ▼ | |||||||
| Stralsund Rügendamm | 225,23 | ||||||
| ▼ | |||||||
| Rügendamm | |||||||
| ▼ | |||||||
| Altefähr | 228,14 | ||||||
| ▼ | |||||||
| Bergen (Rügen) | 250,87 | ||||||
| ▼ | |||||||
| Saßnitz | 272,72 | ||||||
| ▼ | |||||||
| Saßnitz Hafen | 274,46 | ||||||
| ▼ | |||||||
| Fähranleger |
Berlin Nordbf 0,0 - Berlin-Schönholz 3,85 - Löwenberg Reichsb (Mark) 44,25 - Neustrelitz Reichsb 98,53 - Neubrandenburg 133,73 - Stralsund 222,64 - Saßnitz 272,72 - Saßnitz Hafen 274,46 (1937/1943)
| Berlin Nordbf | 0,01 | |
| Bk Nmt | 0,50 | |
| Vns | 1,37 | km 2,95 der Strecke Berlin Stettiner Bf -0,28 - Stettin Hbf 134,41 - Belgard 280,01 - Stolp 371,46 - Gr. Boschpol 439,03 - Danzig Hbf 502,55 |
| km 2,64 der Strecke Pankow Verschiebebf 0,0 mit Streckenästen nach Vnp 2,08; Vns 2,64 - Vpr 3,81; Vns 2,64 - Gesundbrunnen 3,52; Vns 2,64 - Güterbf Nord 3,07 (GA) | ||
| Ngn | 2,04 | km 1,90 der Strecke Pankow Verschiebebf 0,0 mit Streckenästen nach Vnp 2,08; Vns 2,64 - Vpr 3,81; Vns 2,64 - Gesundbrunnen 3,52; Vns 2,64 - Güterbf Nord 3,07 (GA) |
| Vnp | 2,48 | km 2,08 der Strecke Pankow Verschiebebf 0,0 mit Streckenästen nach Vnp 2,08; Vns 2,64 - Vpr 3,81; Vns 2,64 - Gesundbrunnen 3,52; Vns 2,64 - Güterbf Nord 3,07 (GA) |
| Wollankstraße | 2,91 | |
| Berlin-Schönholz | 3,85 | |
| ► | km 3,85 der abgehenden Strecke (Berlin Nordbf 0,0) - Berlin-Schönholz 3,85 - Kremmen 37,24 mit weiterlaufender Kilometrierung (Streckenverzweigung mit gemeinsamen Nullpunkt Berlin Nordbf) | |
| Verbindungsgleis zum Bf Berlin-Wilhelmsruh (Niedb E) (Strecke: Berlin-Wilhelmsruh 0,0 - Abzw. Asw 13,941 - Basdorf 17,4 - Wensickendorf 23,0 - Liebenwalde 36,3) | ||
| Berlin-Wilhelmsruh | 5,63 | |
| Wittenau Nordbahn | 8,20 | |
| Waidmannslust | 9,51 | |
| Berlin-Hermsdorf | 11,08 | |
| Berlin-Frohnau | 13,07 | |
| Berlin | ||
| Landesgrenze | 16,31 | nach 1945: Grenze Westberlin/Sowjetische Besatzungszone bzw. Westberlin/DDR |
| Brandenburg | ||
| Hohen Neudorf (b Berlin) | 17,34 | |
| Birkenwerder (b Berlin) | 19,40 | |
| Borgsdorf | 22,48 | |
| Bk Borgsdorf | 22,896 | |
| Lehnitz | 25,70 | |
| Oranienburg | 27,41 | km 38,15 der Strecke Nauen 0,0 - Kremmen 20,63 - Oranienburg 38,15 |
| Sachsenhausen (Nordbahn) | 29,48 | |
| Fichtengrund | 31,49 | |
| Nassenheide (Nordbahn) | 34,79 | |
| Bk Neuholland | 37,32 | |
| Grüneberg (Nordbahn) | 40,76 | |
| Löwenberg Reichsb (Mark) | 44,25 | km 0,0 der Strecke Löwenberg (Mark) 0,0 - Rheinsberg (Mark) 37,58 - Flecken Zechlin 50,6 |
| ► | km 44,25 der abgehenden Strecke (Berlin Nordbf 0,0) - Löwenberg Reichsb (Mark) 44,25 - Templin 77,32 - Fährkrug 82,30 - Prenzlau 116,79 und Fährkrug 82,30 - Fürstenwerder Reichsb 114,06 mit weiterlaufender Kilometrierung (Streckenverzweigung mit gemeinsamen Nullpunkt Berlin Nordbf) | |
| Löwenberg Abzw. | 45,8 | |
| Guten Germendorf | 49,72 | |
| Buberow | 51,75 | |
| Gransee | 56,19 | km 0,0 der Strecke Gransee 0,0 - Neuglobsow 22,8 |
| Stadt Neukölln | 58,29 | |
| Altlüdersdorf | 60,78 | |
| Brandenburg | ||
| Grenze | 64,95 | |
| Mecklenburg | ||
| Dannenwalde | 65,44 | auch: Dannenwalde (Kr Gransee) |
| Bk Gramzow (Meckl) | 69,69 | |
| Drögen | 72,85 | |
| Bk Karlshorst | 74,93 | |
| Fürstenberg (Meckl) | 78,04 | km 123,19 der Strecke (Berlin Stettiner Bf -0,28) - Britz 52,02 - Templin 92,68 - Fürstenberg (Meckl) 123,19 |
| Mecklenburg | ||
| Grenze | 78,27 | |
| Brandenburg | ||
| Brandenburg | ||
| Grenze | 84,17 | |
| Mecklenburg | ||
| Düsterförde | 85,20 | |
| Mecklenburg | ||
| Grenze | 87,43 | |
| Brandenburg | ||
| Brandenburg | ||
| Grenze | 87,54 | |
| Mecklenburg | ||
| Bk Drewin | 89,73 | |
| Strelitz Alt | 95,23 | |
| Neustrelitz Reichsb | 98,53 | km 0,0 der Strecke Neustrelitz 0,0 - Waren (Müritz) 34,05 - Lalendorf 69,73 - Plaaz 80,86 - Rostock Hbf 113,20 - Warnemünde Hbf 126,30 (auch 126,48) |
| km 30,68 der Strecke [Wittenberge 0,0 - Pritzwalk 35,41 - Wittstock (Dosse) 55,47 - Landesgrenze Preußen/Mecklenburg (bei Buschof) km 73,68] = km 0,0 - Buschhof 0,15 - Neustrelitz Süd 30,68 - Landesgrenze Mecklenburg/Preußen km 80,94 = km 61,20 - Strasburg (Uckerm) 60,20 - Pasewalk 41,93 - Stettin Hbf 0,0 (siehe auch Tabelle 4, Ziffer 6) (siehe auch Tabelle 3, Ziffer 15) | ||
| Thurow | 105,16 | |
| Blankensee (Meckl) | 113,40 | |
| Cammin (Meckl) | 117,63 | |
| Stargard (Meckl) | 125,39 | |
| Bk Hinterste Mühle | 130,72 | |
| Neubrandenburg | 133,73 | km 200,92 der Strecke Lübeck Hbf 0,0 - Bad Kleinen 59,3 - Güstrow 113,3 - Malchin 156,3 - Neubrandenburg 200,9 - Landesgrenze Mecklenburg/Preußen (km-Wechsel bei Strasburg km 232,26 = km 62,00, auch Angabe km 234,1 = km 61,1) - Stettin Hbf 0,0 |
| km 0,0 der Strecke Neubrandenburg 0,0 - Friedland (Meckl.) 25,63 | ||
| km 142,36 der Strecke Ludwigslust 0,0 - Parchim 25,90 - Karow (Meckl) 61,00 - Waren (Müritz) 95,79 - Neubrandenburg 142,36 | ||
| 134,4 | ||
| Überlänge | 60 m | |
| 134,5 | ||
| Bk Trollenhagen | 138,26 | |
| Neddemin | 142,26 | |
| Mecklenburg | ||
| Grenze | 143,83 | |
| Pommern | ||
| Bk Thalberg | 145,30 | |
| Altentreptow | 149,11 | bis 1939: Treptow (Tollense) |
| km 50,90 der Strecke Demmin 0,0 - Altentreptow Landesbahn 50,90 (Spurweite 750 mm) | ||
| km 42,1 der Strecke Metschow 0,0 - Altentreptow Landesbahn 42,1 (Spurweite 750 mm) | ||
| Bk Buchar | 153,24 | |
| Gültz | 157,35 | |
| Gnevkow | 161,35 | |
| Sternfeld | 165,24 | |
| Utzedel | 169,81 | |
| Zachariae | 172,35 | |
| Demmin | 176,05 | km 0,0 der Strecke Demmin 0,0 - Altentreptow Landesbahn 50,90 (Spurweite 750 mm) |
| km 0,0 der Strecke Demmin 0,0 - Stavenhagen Klbf 31,2 (Spurweite 750 mm) | ||
| km 0,0 der Strecke Demmin 0,0 - Tutow 13,70 | ||
| km 0,0 der Strecke Demmin 0,0 - Demmin Hafen 2,53 | ||
| (Grenze) | 180,67 | |
| Randow | 181,42 | |
| Toitz-Rustow | 184,85 | km 0,0 der Strecke Toitz-Rustow 0,0 - Loitz 7,20 |
| Düvier | 189,16 | |
| Rakow | 192,70 | |
| Bk Vietlipp | 197,40 | |
| Grimmen | 199,64 | km 25,6 der Strecke Greifswald 0,0 - Tribsees 50,54 |
| Wittenhagen | 208,25 | |
| Elmenhorst | 211,24 | |
| Alt Zarrendorf | 214,69 | |
| Wendorf | 216,02 | Kreuzungsstelle |
| Voigdehagen | 218,92 | |
| Stralsund SRG | 220,14 | km 0,0 der Strecke Stralsund SRG 0,0 - Stralsund Rügendamm 1,49 (auch Angabe 2,2) |
| km 238,32 der Strecke (Berlin Stettiner Bf -0,28) - Angermünde 70,67 - Stralsund 240,80 | ||
| Stralsund | 222,64 | km 240,80 der Strecke (Berlin Stettiner Bf -0,28) - Angermünde 70,67 - Stralsund 240,80 |
| km 0,3 der Strecke Stralsund 0,3 - Rostock Hbf 72,65 | ||
| km 0,0 der Strecke Stralsund 0,0 - Tribsees 36,22 | ||
| Hafenbahn: Stralsund, Weiche 55 km 222,811- Stralsund Hafen km 224,820 | ||
| km 0,0 der Strecke Stralsund Kleinbf 0,0 - Altenpleen 11,47 - Barth 29,23 - Damgarten Nord 57,77 (Franzburger Kreisbahnen) (Spurweite 1000 mm) | ||
| Abzw Franzburger Kleinbahnen | 223,11 | km ?? |
| ► | abgehend nach Hafen 226,03 mit weiterlaufender Kilometrierung | |
| Stralsund Rügendamm | 226,45 | km 1,49 der Strecke Stralsund SRG 0,0 - Stralsund Rügendamm 1,49 (auch Angabe 2,2) |
| Deckungsstelle Altefähr | 228,00 | |
| Altefähr | 228,14 | km 0,0 der Strecke Altefähr 0,0 - Putbus 35,27 - Göhren (Rügen) 59,46 (Spurweite 750 mm) |
| Rambin (Rügen) | 233,93 | |
| Samtens | 239,33 | |
| Teschenhagen | 246,26 | |
| Bergen (Rügen) | 250,87 | km 0,0 der Strecke Bergen (Rügen) 0,0 - Lauterbach (Rügen) 12,02 |
| km 0,0 der Strecke Bergen (Rügen) Ost 0,0 - Wittower Fähre 22,67 - Eisenbahnfähre - Fährhof 23,15 - Altenkirchen (Rügen) 37,7 (Spurweite 750 mm) | ||
| Bk Sabitz | 255,70 | |
| Lietzow | 260,48 | km 0,0 der Strecke Lietzow 0,0 - Binz 12,12 (von dieser Strecke war ein Abzweig über Neu-Mukran nach Saßnitz-Hafen geplant - siehe dazu Kartenausschnitt von 1937) |
| Sagard | 267,38 | |
| Lancken | 270,59 | |
| Sassnitz | 272,72 | |
| Sassnitz Hafen | 274,46 |

Auszug aus der Streckenkarte der Rbd Stettin von 1937
Quelle: [11]
Kilometrierung bis zum Bau des Rügendammes 1936
| ▼ | ||
| Stralsund | 222,64 | |
| Stralsund Hafen | 225,17 | |
| ► | abgehend nach Hafen km 226,03 | |
| Fähranleger | 225,22 | |
| Eisenbahnfähre | ||
| Fähranleger | 227,85 | |
| Altefähr | 227,91 | |
| Rambin (Rügen) | 233,93 | |
| ▼ |

Auszug aus der Streckenkarte der Rbd Stettin von 1928
Quelle: [12]
Stand der Kilometrierung: 1967
| Berlin Eberswalder Straße | 0,01 | ||||||
| ê | |||||||
| Berlin-Schönholz | 3,85 | è | Kremmen | 37,24 | |||
| ê | |||||||
| Löwenberg (Mark) | 44,25 | è | Templin | 77,32 | |||
| ê | ê | ||||||
| Neustrelitz | 98,53 | Fährkrug | 82,30 | ||||
| ê | ê | ||||||
| Neubrandenburg | 133,73 | Prenzlau | 119,42 | ||||
| ê | |||||||
| Stralsund (kommend) | 222,64 | è | Hafen Stralsund | 224,82 | |||
| (gehend) | 223,60 | ||||||
| ê | |||||||
| Saßnitz | 272,72 | ||||||
| ê | |||||||
| Saßnitz Hafen | 274,46 |
Berlin Eberswalder Straße 0,01 - Berlin-Schönholz 3,85 - Grenze Berlin West/DDR 16,31 - Oranienburg 27,41 - Löwenberg (Mark) 44,25 - Neustrelitz 98,53 -Neubrandenburg 133,73 - Stralsund 222,64 - Saßnitz 272,72 - Saßnitz Hafen 274,46 (1967)
| Berlin Eberswalder Straße | 0,01 | Der Nordbahnhof erhielt 1950 mir der Umbenneung des Stettiner Bahnhofes in Nordbahnhof den Namen Berlin Eberswalder Straße oder auch Güterbahnhof Eberswalder Straße. |
| Berlin West | ||
| Grenze | 0,7 | |
| Berlin | ||
| Berlin | ||
| Grenze | 3,205 | |
| Berlin West | ||
| Berlin-Schönholz | 3,85 | |
| ► | km 3,85 der abgehenden Strecke (Berlin Eberswalder Straße 0,01) - Berlin-Schönholz 3,85 - Grenze Berlin West/DDR 17,453 - Henningsdorf (b Berlin) 19,48 - Kremmen 37,24 mit weiterlaufender Kilometrierung (Streckenverzweigung mit gemeinsamen Nullpunkt Berlin Eberswalder Straße) | |
| Verbindungsgleis zum Bf Berlin-Wilhelmsruh (Niedb E) (Strecke: Berlin-Wilhelmsruh 0,0 - Abzw. Asw 13,941 - Basdorf 17,4 - Wensickendorf 23,0 - Liebenwalde 36,3) | ||
| Berlin-Wilhelmsruh | 5,63 | |
| Wittenau Nordbahn | 8,20 | |
| Waidmannslust | 9,51 | |
| Berlin-Hermsdorf | 11,08 | |
| Berlin-Frohnau | 13,07 | |
| Berlin West | ||
| Grenze | 16,31 | |
| DDR | ||
| Streckenunterbrechung zwischen Grenze und Verbindungskurve | ||
| 17,056 | km 0,0 der Verbindungskurve nach Schönfließ (Berliner Außenring) | |
| km 0,0 der Verbindingskurve zum Berliner Außenring Richtung Wustermark | ||
| Hohen Neudorf (b Berlin) | 17,34 | |
| Birkenwerder (b Berlin) | 19,40 | Verbindungskurven zum Berliner Außenring |
| Borgsdorf | 22,48 | |
| Bk Borg | 22,896 | |
| Lehnitz | 25,70 | |
| Oranienburg | 27,41 | km 38,15 der Strecke Nauen 0,0 - Kremmen 20,63 - Oranienburg 38,15 |
| km vom GAR | ||
| Sachsenhausen (Nordbahn) | 29,48 | |
| Fichtengrund | 31,49 | km vom GAR |
| Nassenheide | 34,79 | |
| Grüneberg | 40,76 | |
| Löwenberg (Mark) | 44,25 | km 0,0 der Strecke Löwenberg (Mark) 0,0 - Herzberg (Mark) 14,76 - Rheinsberg (Mark) 37,58 |
| ► | km 44,25 der abgehenden Strecke (Berlin Eberswalder Straße 0,01) - Löwenberg (Mark) 44,25 - Templin 77,32 - Fährkrug 82,30 - Prenzlau 119,42 mit weiterlaufender Kilometrierung (Streckenverzweigung mit gemeinsamen Nullpunkt Berlin Eberswalder Straße) | |
| Abzw. Löwenberg | 45,80 | Verbindungskurve zur Strecke Löwenberg (Mark) 0,0 - Herzberg (Mark) 14,76 - Rheinsberg (Mark) 37,58 |
| Guten Germendorf | 49,72 | |
| Buberow | 51,75 | |
| Gransee | 56,19 | km 0,0 der Strecke Gransee 0,0 - Großwoltersdorf 13,785 |
| Altlüdersdorf | 60,78 | |
| Dannenwalde (Kr Gransee) | 65,44 | |
| Drögen | 72,85 | |
| Fürstenberg (Havel) | 78,04 | km 123,19 der Strecke (Berlin Stettiner Bf -0,28) - Britz 52,02 - Templin 92,68 - Fürstenberg (Havel) 123,19 |
| Abzw | Verbindungskurve zur Strecke (Berlin Stettiner Bf -0,28) - Britz 52,02 - Templin 92,68 - Fürstenberg 123,19 | |
| Düsterförde | 85,20 | |
| Drewin | 88,70 | Kreuzungsstelle |
| Strelitz Alt | 95,23 | Verbindungskurve zur Strecke [Wittenberge 0,0 - Pritzwalk 35,41 - Wittstock (Dosse) 55,47 - Landesgrenze Preußen/Mecklenburg (bei Buschof) km 73,68] = km 0,0 - Buschhof 0,15 - Neustrelitz Süd 30,68 - Landesgrenze Mecklenburg/Preußen km 80,94 = km 61,20 - Strasburg (Uckerm) 60,20 - Pasewalk 41,93 - Stettin Hbf 0,0 (siehe auch Tabelle 4, Ziffer 6) (siehe auch Tabelle 3, Ziffer 15) |
| Neustrelitz | 98,53 | km 0,0 der Strecke Neustrelitz 0,0 - Waren (Müritz) 35,995 - Lalendorf Ost 70,22 - Plaaz 81,495 - Rostock Hbf 113,20 - Warnemünde Hbf 126,30 (auch 126,48) |
| km 30,68 der Strecke [Wittenberge 0,0 - Pritzwalk 35,41 - Wittstock (Dosse) 55,47 - Landesgrenze Preußen/Mecklenburg (bei Buschof) km 73,68] = km 0,0 - Buschhof 0,15 - Neustrelitz Süd 30,68 - Thurow (Meckl) 38,58 = [km 0,0 - Feldberg 18,98] | ||
| Thurow | 105,16 | Kreuzungsstelle |
| Blankensee (Meckl) | 113,40 | |
| Cammin (Meckl) | 117,63 | |
| Burg Stargard (Meckl) | 125,39 | |
| Bk Hinterste Mühle | 130,72 | |
| km 200,92 der Strecke Lübeck Hbf 0,0 - Bad Kleinen 59,3 - Güstrow 113,3 - Malchin 156,3 - Neubrandenburg 200,9 - Landesgrenze Mecklenburg/Preußen (km-Wechsel bei Strasburg km 232,26 = km 62,00, auch Angabe km 234,1 = km 61,1) - Stettin Hbf 0,0 | ||
| km 0,0 der Strecke Neubrandenburg 0,0 - Friedland (Meckl.) 25,63 | ||
| km 142,36 der Strecke Ludwigslust 0,0 - Parchim 25,90 - Karow (Meckl) 61,00 - Waren (Müritz) 95,79 - Neubrandenburg 142,36 | ||
| Neubrandenburg | 133,73 | |
| Neddemin | 142,26 | |
| Altentreptow | 149,11 | |
| Gültz | 157,35 | |
| Gnevkow | 161,35 | |
| Sternfeld | 165,24 | |
| Utzedel | 169,81 | |
| Zachariae | 172,35 | |
| Demmin | 176,05 | km 0,0 der Strecke Demmin 0,0 - Tutow 13,70 |
| km 0,0 der Strecke Demmin 0,0 - Demmin Hafen 2,53 | ||
| Randow | 181,42 | |
| Toitz-Rustow | 184,85 | km 0,0 der Strecke Toitz-Rustow 0,0 - Loitz 7,05 |
| Düvier | 189,16 | |
| Rakow | 192,70 | |
| Grimmen | 199,64 | |
| Wittenhagen | 208,25 | |
| Elmenhorst | 211,24 | |
| Zarrendorf | 214,68 | |
| Voigdehagen | 218,91 | |
| Stralsund SRG | 220,14 | km 0,0 der Strecke Stralsund SRG 0,0 - Stralsund Rügendamm 1,49 (auch Angabe 2,2) |
| km 238,32 der Strecke [Berlin Nordbf (bis 1950 Berlin Stettiner Bf) -0,28] - Angermünde 70,67 (Abzw. von Strecke 2) - Pasewalk 132,25 - Ducherow 163,19 - Stralsund 240,80 | ||
| Stralsund | 222,64 | km 240,80 der Strecke [Berlin Nordbf (bis 1950 Berlin Stettiner Bf) -0,28] - Angermünde 70,67 (Abzw. von Strecke 2) - Pasewalk 132,25 - Ducherow 163,19 - Stralsund 240,80 |
| km 0,0 der Strecke Stralsund 0,0 - Rostock Hbf 72,65 | ||
| Hafenbahn: Stralsund, Weiche 55 km 222,811- Stralsund Hafen km 224,820 | ||
| km 0,0 der Strecke Stralsund Kleinbf 0,0 - Altenpleen 11,47 - Barth 29,23 - Hermannshof 43,47 (Franzburger Kreisbahnen) (Spurweite 1000 mm) | ||
| Überlänge 1320 m | Die Fehllänge ergab sich mit dem Bau des Rügendammes 1936 und der dazu notwendigen Streckenanpassung. | |
| Stralsund Rügendamm | 226,45 | km 1,49 der Strecke Stralsund SRG 0,0 - Stralsund Rügendamm 1,49 (auch Angabe 2,2) |
| Altefähr | 228,31 | km 0,0 der Strecke Altefähr 0,0 - Putbus 35,27 - Göhren (Rügen) 59,46 (Spurweite 750 mm) |
| Rambin (Rügen) | 233,93 | |
| Samtens | 239,33 | |
| Teschenhagen | 246,26 | |
| Bergen (Rügen) | 250,87 | km 0,0 der Strecke Bergen (Rügen) 0,0 - Putbus 9,74Lauterbach (Rügen) 12,02 - Lauterbach (Rügen) Landungsstelle |
| km 0,0 der Strecke Bergen (Rügen) Ost 0,0 - Wittower Fähre 22,67 - Eisenbahnfähre - Fährhof 23,15 - Altenkirchen (Rügen) 37,7 (Spurweite 750 mm) | ||
| Lietzow (Rügen) | 260,48 | km 0,0 der Strecke Lietzow (Rügen) 0,0 - Ostseebad Binz 12,12 |
| Sagard | 267,38 | |
| Lancken | 270,59 | |
| Sassnitz | 272,72 | |
| Sassnitz Hafen | 274,46 |

Grimmen - Nordkopf
Foto: Heinz Treber, 15.04.2016

Grimmen - Stellwerk Gnt
Foto: Heinz Treber, 14.04.2018

km 199,9 in Grimmen
Foto: Heinz Treber, 14.04.2018

km 199,9 in Grimmen
Foto: Heinz Treber, 14.04.2018

km 200,2 (Stein), km 200,4 (Tafel) und km 200,6 (Tafel) in Grimmen
Rechts das Gleis nach Grimmen Schützenplatz
Foto: Heinz Treber, 14.04.2018

km 200,3 in Grimmen - 03 1010
Links die ehemalige Strecke Greifswald 0,0 - Grimmen 25,6 - Tribsees 50,5
Heute existiert nur noch das Stück Grimmen Schützenplatz 23,7 - Grimmen 25,6 als Anschlussgleis
Foto: Raimond Ört, November 2015
km 200,3 in Grimmen - 132 334
Der vordere Stein (km 25,0) gehört zur Strecke
Greifswald 0,0 - Grimmen 25,6 - Tribsees 50,5
Heute existiert nur noch das Stück Grimmen Schützenplatz 23,7 - Grimmen 25,6 als Anschlussgleis
Foto: Reinhold Kreschinski, 21.05.2018
km 200,3 in Grimmen - 132 334
Der vordere Stein (km 25,0) gehört zur Strecke
Greifswald 0,0 - Grimmen 25,6 - Tribsees 50,5
Heute existiert nur noch das Stück Grimmen Schützenplatz 23,7 - Grimmen 25,6 als Anschlussgleis
Foto: Reinhold Kreschinski, 21.05.2018

km 200,8 (Tafel) und km 200,9 (Stein) in Grimmen
Links im Hintergrund die ehemalige Strecke Greifswald 0,0 - Grimmen 25,6 - Tribsees 50,5
Heute existiert nur noch das Stück Grimmen Schützenplatz 23,7 - Grimmen 25,6 als Anschlussgleis
Foto: Heinz Treber, 14.01.2018

km 201,0 in Grimmen
Foto: Heinz Treber, 14.01.2018

km 203,x zwischen Grimmen und Wittenhagen - 132 314
Foto: Stefan Motz, 30.05.1991

km 212,0 bei Elmenhorst - Blick Richtung Berlin
248 018
Foto: Fritz Pacher, März 2023

km 212,0 bei Elmenhorst - Blick Richtung Berlin
112 104
Foto: Fritz Pacher, März 2023

km 217,0 zwischen Zarrendorf und Voigdehagen
172 140 und 172 141
Foto: Cordel Schwella, 10.12.2022

km 219,0 bei Voigdehagen - 628 632 als RE 33047 (Stralsund - Neustrelitz)
Foto: Jens-Peter Schlör, 09.02.2009

km 219,0 bei Voigdehagen - OLA-Tw 007 als OLA79785
Foto: Jens-Peter Schlör, 29.05.2012

km 220,0 am Abzw Stralsund SRG - 232 131 mit Schneeschleuder
km 238,4 (Tafel im Hintergrund) gehört zur Strecke
(Berlin Nordbf -0,28) - Angermünde 70,67 - Jatznick 142,88 - Ducherow 163,19 - Züssow 191,90 - Greifswald 209,60 - Stralsund 240,80
Foto: Jens-Peter Schlör, 10.01.2010

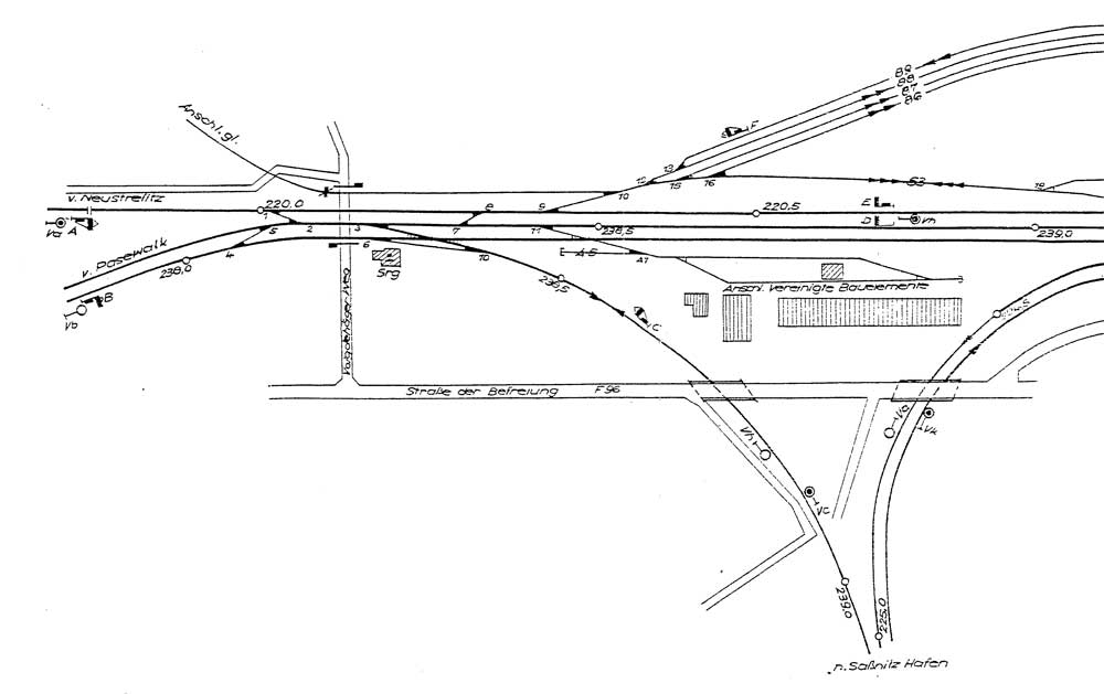
Teillageplan Stralsund, Abzw SRG; 1979
Quelle: Sporenplan

km 220,0 in Stralsund, Abzw SRG - Blick Richtung Berlin
01 0507 mit Gex 2650
km 238,0 gehört zur Strecke
(Berlin Nordbf -0,28) - Angermünde 70,67 - Jatznick 142,88 - Ducherow 163,19 - Züssow 191,90 - Greifswald 209,60 - Stralsund 240,80
Foto: Eckhardt Paulick, März 1978

km 220,0 in Stralsund, Abzw SRG - Blick Richtung Berlin
Foto: Matthias Manske, 06.11.2015

km 220,2 in Stralsund
Foto: Matthias Manske, 06.11.2015

km 220,7 in Stralsund
Foto: Matthias Manske, 06.11.2015

km 221,0 in Stralsund - 143 078
Foto: Karl-Hans Fischer, 20.06.1997

km 221,0 in Stralsund
Foto: Matthias Manske, 06.11.2015

Übersicht in Stralsund
Links abgehend zwei Gleise in Richtung Sassnitz,
daneben zwei Gleise des Streckenastes
[Berlin Nordbf (bis 1950 Berlin Stettiner Bf) -0,28] - Angermünde 70,67 (Abzw. von Strecke 2) - Pasewalk 132,25 - Ducherow 163,19 - Stralsund 240,80,
daneben das Gleis von Berlin Nordbahnhof.
Foto: Heinz Treber, 14.12.2016

km 221,1 in Stralsund
Foto: Matthias Manske, 06.11.2015

km 221,1 in Stralsund
Foto: Matthias Manske, 06.11.2015

km 221,2 in Stralsund
Foto: Matthias Manske, 06.11.2015

km 221,3 in Stralsund
Die Angabe km 239,457 an der Trapeztafel gehört zur Strecke
[Berlin Nordbf (bis 1950 Berlin Stettiner Bf) -0,28] - Angermünde 70,67 (Abzw. von Strecke 2) - Pasewalk 132,25 - Ducherow 163,19 - Stralsund 240,80
Foto: Matthias Manske, 06.11.2015

km 221,4 in Stralsund
Foto: Heinz Treber, 14.12.2016

km 221,4 in Stralsund
Foto: Heinz Treber, 14.12.2016

Stralsund - Wasserturm - 143 213
Foto: Karl-Hans Fischer, 20.06.1997

km 222,1 in Stralsund - 112 116
Foto: Paul Wegner, 29.09.2013

ebenfalls km 222,1 in Stralsund, aber 25 Jahre früher
Sonderzug anlässlich Aufnahme des elektrischen Betriebes zwischen Greifswald und Stralsund
Foto: Mathias Gottschewsky, 17.12.1988

Stralsund
Foto: Heinz Treber, 27.10.2015

Stralsund
Foto: Heinz Treber, 27.10.2015

Stralsund
Foto: Heinz Treber, 27.10.2015

km 223,7 (Stein) und km 223,8 (Tafeln) zwischen Stralsund und Stralsund Rügendamm - Blick Richtung Saßnitz
Foto: Matthias Manske, 21.05.2016

km 223,7 in Stralsund
PRESS 204 010 mit Schneeschleider
Foto: Jens-Peter Schlör, 13.02.2010
km 223,7 in Stralsund
103 184, 115 509 und 155 273 mit einem Röhrenzug für NORDSTREAM
Foto: Jörg Trutwig, 13.05.2011

km 223,8 zwischen Stralsund und Stralsund Rügendamm
km 239,7 gehört zum Streckenast (Berlin) - Angermünde - Stralsund der Stettiner Bahn
Foto: Matthias Manske, 21.05.2016

km 223,8 in Stralsund
Foto: Heinz Treber, 14.12.2016

km 223,8 in Stralsund
Foto: Dietmar Levie, 14.08.2020

km 224,0 zwischen Stralsund und Stralsund Rügendamm
Foto: Matthias Manske, 21.05.2016

km 224,0 zwischen Stralsund und Stralsund Rügendamm
Foto: Matthias Manske, 21.05.2016

km 224,0 zwischen Stralsund und Stralsund Rügendamm
Foto: Matthias Manske, 21.05.2016

km 224,0 zwischen Stralsund und Stralsund Rügendamm
km 239,4 gehört zum Streckenast (Berlin) - Angermünde - Stralsund der Stettiner Bahn
Foto: Matthias Manske, 21.05.2016

km 224,0 (Stein und Tafel) zwischen Stralsund und Stralsund Rügendamm
Foto: Heinz Treber, 14.12.2016

km 224,0 zwischen Stralsund und Stralsund Rügendamm
Foto: Heinz Treber, 14.12.2016

km 224,0 zwischen Stralsund und Stralsund Rügendamm
Foto: Heinz Treber, 14.12.2016

km 224,0 zwischen Stralsund und Stralsund Rügendamm
Foto: Heinz Treber, 14.12.2016

km 224,0 (Stein und Tafel) zwischen Stralsund und Stralsund Rügendamm
Foto: Heinz Treber, 14.12.2016

km 224,0 (Stein und Tafel) zwischen Stralsund und Stralsund Rügendamm - Blick Richtung Saßnitz
Foto: Michael Hillmann, 02.05.2019

km 224,2 zwischen Stralsund und Stralsund Rügendamm
km 239,2 gehört zum Streckenast (Berlin) - Angermünde - Stralsund der Stettiner Bahn
Foto: Matthias Manske, 21.05.2016

km 224,2 zwischen Stralsund und Stralsund Rügendamm
km 239,2 gehört zum Streckenast (Berlin) - Angermünde - Stralsund der Stettiner Bahn
Foto: Matthias Manske, 21.05.2016

km 224,2 zwischen Stralsund und Stralsund Rügendamm
Foto: Heinz Treber, 14.12.2016

km 224,4 zwischen Stralsund und Stralsund Rügendamm
Foto: Matthias Manske, 21.05.2016

km 224,4 zwischen Stralsund und Stralsund Rügendamm
Foto: Matthias Manske, 21.05.2016

km 224,4 zwischen Stralsund und Stralsund Rügendamm
Foto: Heinz Treber, 14.12.2016

km 224,4 zwischen Stralsund und Stralsund Rügendamm
Foto: Heinz Treber, 14.12.2016

km 225,0 zwischen Stralsund und Stralsund Rügendamm
Foto: Matthias Manske, 21.05.2016

km 225,2 zwischen Stralsund und Stralsund Rügendamm - Blick Richtung Saßnitz
112 565
Foto: Mario Trophy Lange, 04.09.2021

km 225,4 zwischen Stralsund und Stralsund Rügendamm - Blick Richtung Saßnitz
Foto: Matthias Manske, 21.05.2016

km 225,8 in Stralsund Rügendamm
Foto: Heinz Treber, 03.08.2021

km 225,8 in Stralsund Rügendamm - Blick Richtung Stralsund - Berlin
01 0509
Foto: Cordel Schwella, 04.09.2021

km 225,8 in Stralsund Rügendamm - Blick Richtung Stralsund - Berlin
km 1,5 gehört zur Strecke
Abzw Stralsund SRG, W 6, km 0,003 - Stralsund Rügendamm, W 11, km 2,431 (6324)
Foto: Heinz Treber, 03.08.2021

km 226,0 in Stralsund Rügendamm - Blick Richtung Saßnitz
Noch spannungslos wird 482 040 (LOCON) von RE 13030 Ostseebad Binz - Stralsund Hbf tangiert.
Foto: Gunnar Salchert, März 2012

km 226,0 (Tafeln und Stein) in Stralsund Rügendamm - Blick Richtung Saßnitz
Foto: Heinz Treber, 03.08.2021

km 226,0 (Tafeln und Stein) in Stralsund Rügendamm - Blick Richtung Saßnitz
Foto: Heinz Treber, 03.08.2021

km 226,0 (Tafel und Stein) in Stralsund Rügendamm - Blick Richtung Saßnitz
112 565
Foto: Cordel Schwella, 04.09.2021

km 226,0 in Stralsund Rügendamm - Blick Richtung Saßnitz
101 088/101 116 mit IC 2212
Links abgehend die Strecke nach Stralsund Hafen (6788)
Foto: Cordel Schwella, 19.05.2022

km 226,0 in Stralsund Rügendamm - Blick Richtung Stralsund - Berlin
Foto: Matthias Manske, 21.05.2016

km 226,0 in Stralsund Rügendamm - Blick Richtung Stralsund - Berlin
Foto: Heinz Treber, 03.08.2021

km 226,2 in Stralsund Rügendamm - Blick Richtung Stralsund - Berlin
Foto: Dietmar Levie, 14.08.2020

km 226,2 in Stralsund Rügendamm - Blick Richtung Stralsund - Berlin
km 2,0 gehört zur Strecke
Abzw Stralsund SRG, W 6, km 0,003 - Stralsund Rügendamm, W 11, km 2,431 (6324)
Foto: Dietmar Levie, 14.08.2020

km 226,2 in Stralsund Rügendamm - Blick Richtung Stralsund - Berlin
Foto: Heinz Treber, 03.08.2021

km 226,2 in Stralsund Rügendamm - Blick Richtung Stralsund - Berlin
km 2,0 gehört zur Strecke
Abzw Stralsund SRG, W 6, km 0,003 - Stralsund Rügendamm, W 11, km 2,431 (6324)
Foto: Heinz Treber, 03.08.2021

km 226,4 in Stralsund Rügendamm - Blick Richtung Saßnitz
Foto: Dietmar Levie, 14.08.2020

km 226,4 in Stralsund Rügendamm - Blick Richtung Saßnitz
143 295
Im Hintergrund ist die neue Sundquerung noch im Bau.
Foto: Jörg Trutwig, 29.11.2005

km 226,4 in Stralsund Rügendamm - Blick Richtung Saßnitz
Foto: Heinz Treber, 03.08.2021

km 226,4 in Stralsund Rügendamm - Blick Richtung Saßnitz
km 2,2 gehört zur Strecke
Abzw Stralsund SRG, W 6, km 0,003 - Stralsund Rügendamm, W 11, km 2,431 (6324)
Foto: Dietmar Levie, 14.08.2020

km 226,4 in Stralsund Rügendamm - Blick Richtung Saßnitz
km 2,2 gehört zur Strecke
Abzw Stralsund SRG, W 6, km 0,003 - Stralsund Rügendamm, W 11, km 2,431 (6324)
Foto: Heinz Treber, 03.08.2021

km 226,4 in Stralsund Rügendamm - Blick Richtung Saßnitz
Foto: Dietmar Levie, 14.08.2020

km 226,4 in Stralsund Rügendamm - Blick Richtung Stralsund - Berlin
Foto: Heinz Treber, 03.08.2021

km 226,6 in Stralsund Rügendamm - Blick Richtung Saßnitz
km 2,2 gehört zur Strecke
Abzw Stralsund SRG, W 6, km 0,003 - Stralsund Rügendamm, W 11, km 2,431 (6324)
Foto: Dietmar Levie, 14.08.2020

km 226,6 in Stralsund Rügendamm - Blick Richtung Saßnitz
Foto: Dietmar Levie, 14.08.2020

km 226,6 in Stralsund Rügendamm - Blick Richtung Saßnitz
Foto: Heinz Treber, 03.08.2021

km 226,6 in Stralsund Rügendamm - Blick Richtung Stralsund - Berlin
km 2,2 gehört zur Strecke
Abzw Stralsund SRG, W 6, km 0,003 - Stralsund Rügendamm, W 11, km 2,431 (6324)
Foto: Heinz Treber, 03.08.2021

bei km 226,7 an der Ziegelgrabenbrücke - Blick Richtung Saßnitz
Foto: Torsten Henschel

Im Vordergrund die Klappbrücke im Rügendamm (Schiene und Straße)
Im Hintergrund die neue Hochbrücke
Foto: Klaus Poppe, 17.01.2010

Ziegelgrabenbrücke
Foto: Heinz Treber, 03.08.2021

Ziegelgrabenbrücke
Foto: Heinz Treber, 03.08.2021

Ziegelgrabenbrücke
Foto: Heinz Treber, 03.08.2021

Ziegelgrabenbrücke
Foto: Heinz Treber, 03.08.2021

Ziegelgrabenbrücke
Foto: Heinz Treber, 03.08.2021

km 227,0 zwischen Stralsund Rügendamm und Altefähr - Blick Richtung Saßnitz
Foto: Heinz Treber, 03.08.2021

km 227,0 zwischen Stralsund Rügendamm und Altefähr - Blick Richtung Saßnitz
Foto: Heinz Treber, 03.08.2021

km 227,0 zwischen Stralsund Rügendamm und Altefähr
Foto: Heinz Treber, 03.08.2021

km 227,0 zwischen Stralsund Rügendamm und Altefähr
Foto: Heinz Treber, 03.08.2021

km 227,0 zwischen Stralsund Rügendamm und Altefähr
Foto: Heinz Treber, 03.08.2021

km 227,0 zwischen Stralsund Rügendamm und Altefähr - Blick Richtung Stralsund - Berlin
Foto: Heinz Treber, 03.08.2021

km 227,2 zwischen Stralsund Rügendamm und Altefähr - Blick Richtung Saßnitz
Foto: Heinz Treber, 03.08.2021

km 227,4 zwischen Stralsund Rügendamm und Altefähr - Blick Richtung Saßnitz
Foto: Heinz Treber, 03.08.2021

km 227,6 zwischen Stralsund Rügendamm und Altefähr - Blick Richtung Saßnitz
Foto: Heinz Treber, 03.08.2021

km 228,0 zwischen Stralsund Rügendamm und Altefähr - Blick Richtung Saßnitz
Foto: Heinz Treber, 03.08.2021

km 228,6 zwischen Stralsund Rügendamm und Altefähr - Blick Richtung Saßnitz
Foto: Heinz Treber, 03.08.2021

km 228,6 zwischen Stralsund Rügendamm und Altefähr
Foto: Matthias Manske, 21.05.2016

km 228,8 zwischen Stralsund Rügendamm und Altefähr - Blick Richtung Saßnitz
Foto: Matthias Manske, 21.05.2016

km 228,8 (Stein und Tafel); km 228,9 (Stein) und km 229,0 (Tafeln) in Altefähr - Blick Richtung Saßnitz
Foto: Heinz Treber, 03.08.2021
km 228,8 (Tafel) und km 228,9 (Stein, rechts im Bild) am Rügendamm - FLIRT auf der Fahrt nach Binz
Foto: Jens-Peter Schlör, 16.07.2016

km 228,9 (Stein) in Altefähr - Blick Richtung Saßnitz
Foto: Heinz Treber, 03.08.2021
km 228,9 (Stein) in Altefähr - Blick Richtung Saßnitz
193 838
Foto: Cordel Schwella, Mai 2022

km 228,9 (Stein) in Altefähr - Blick Richtung Saßnitz
132 426
Foto: Cordel Schwella, 13.05.2023

km 228,9 (Stein) und km 229,0 (Tafeln) in Altefähr - Blick Richtung Saßnitz
Foto: Heinz Treber, 03.08.2021

km 229,0 in Altefähr - Blick Richtung Stralsund - Berlin
Foto: Matthias Manske, 21.05.2016

km 229,0 in Altefähr - Blick Richtung Saßnitz
140 050
Foto: Michael Hillmann, 16.04.2018

km 229,0 in Altefähr - Blick Richtung Stralsund - Berlin
112 121
Foto: Cordel Schwella, 09.03.2024

km 229,2 in Altefähr - Blick Richtung Stralsund - Berlin
Foto: Matthias Manske, 21.05.2016

km 229,4 in Altefähr
Foto: Heinz Treber, 27.10.2015

km 229,5 in Altefähr
Foto: Heinz Treber, 27.10.2015

km 229,5 in Altefähr
Foto: Heinz Treber, 27.10.2015

km 229,5 in Altefähr
Foto: Heinz Treber, 27.10.2015

km 229,5 in Altefähr
Foto: Matthias Manske, 21.05.2016

km 229,6 in Altefähr
Angaben auf Stein und Tafel stimmen überein
Foto: Heinz Treber, 27.10.2015

km 229,6 in Altefähr
Foto: Heinz Treber, 27.10.2015

km 229,5 und km 229,6 in Altefähr
Foto: Matthias Manske, 21.05.2016

km 229,6 in Altefähr
Foto: Matthias Manske, 21.05.2016

km 229,6 und km 229,7 in Altefähr - Blick Richtung Stralsund - Berlin
Foto: Matthias Manske, 21.05.2016

km 229,8 in Altefähr
Foto: Matthias Manske, 21.05.2016

km 229,9 in Altefähr
Foto: Matthias Manske, 21.05.2016

km 230,0 in Altefähr
Foto: Matthias Manske, 21.05.2016

km 223,0 in Altefähr
Foto: Matthias Manske, 21.05.2016

km 230,0 und km 230,1 in Altefähr
Foto: Matthias Manske, 21.05.2016

km 230,3 in Altefähr
Foto: Matthias Manske, 21.05.2016

km 230,4 in Altefähr
Foto: Matthias Manske, 21.05.2016

km 230,4 zwischen Altefähr und Rambin (Rügen)
Foto: Matthias Manske, 21.05.2016

km 230,8 zwischen Altefähr und Rambin (Rügen)
Foto: Matthias Manske, 21.05.2016

km 231,4 zwischen Altefähr und Rambin (Rügen)
Foto: Matthias Manske, 21.05.2016

km 232,0 zwischen Altefähr und Rambin (Rügen)
Foto: Matthias Manske, 21.05.2016

km 232,4 zwischen Altefähr und Rambin (Rügen)
Foto: Matthias Manske, 21.05.2016

km 232,6 zwischen Altefähr und Rambin (Rügen)
Foto: Matthias Manske, 21.05.2016

km 232,8 zwischen Altefähr und Rambin (Rügen)
Foto: Matthias Manske, 21.05.2016

km 232,8 zwischen Altefähr und Rambin (Rügen)
Foto: Matthias Manske, 21.05.2016

km 232,8 zwischen Altefähr und Rambin (Rügen)
Foto: Matthias Manske, 21.05.2016

km 233,0 zwischen Altefähr und Rambin (Rügen)
Foto: Matthias Manske, 21.05.2016

km 233,0 (Stein und Tafel) zwischen Altefähr und Rambin (Rügen)
Foto: Matthias Manske, 21.05.2016

km 233,0 (Stein und Tafel) zwischen Altefähr und Rambin (Rügen)
Foto: Paul Hoffmann, September 2016

km 233,6 zwischen Altefähr und Rambin (Rügen)
Foto: Matthias Manske, 21.05.2016

km 234,0 zwischen Altefähr und Rambin (Rügen)
Foto: Matthias Manske, 21.05.2016

km 234,0 zwischen Altefähr und Rambin (Rügen)
Foto: Matthias Manske, 21.05.2016

km 234,1 zwischen Altefähr und Rambin (Rügen) - 103 235 mit IR 91312
Foto: Jens-Peter Schlör, 20.09.2009

km 234,2 zwischen Altefähr und Rambin (Rügen)
Foto: Matthias Manske, 21.05.2016

km 234,2 zwischen Altefähr und Rambin (Rügen)
Foto: Matthias Manske, 21.05.2016

km 234,4 zwischen Altefähr und Rambin (Rügen)
Foto: Matthias Manske, 21.05.2016

km 234,6 zwischen Altefähr und Rambin (Rügen)
Foto: Matthias Manske, 21.05.2016

km 234,7 zwischen Altefähr und Rambin (Rügen)
Foto: Matthias Manske, 21.05.2016

km 234,8 in Rambin (Rügen)
Foto: Matthias Manske, 21.05.2016

km 234,8 in Rambin (Rügen)
Foto: Matthias Manske, 21.05.2016

km 234,9 (Stein) und km 235,0 (Tafel) in Rambin (Rügen)
Foto: Karl-Hans Fischer, 22.06.1997

km 234,9 in Rambin (Rügen)
Foto: Matthias Manske, 21.05.2016

km 235,0 in Rambin (Rügen)
Foto: Matthias Manske, 21.05.2016

km 235,0 in Rambin (Rügen)
Foto: Matthias Manske, 21.05.2016

km 235,1 in Rambin (Rügen)
Foto: Matthias Manske, 21.05.2016

km 235,1 in Rambin (Rügen)
Foto: Matthias Manske, 21.05.2016

km 235,2 in Rambin (Rügen)
Foto: Matthias Manske, 21.05.2016

km 235,4 in Rambin (Rügen)
Foto: Matthias Manske, 21.05.2016

km 235,6 in Rambin (Rügen)
Foto: Matthias Manske, 21.05.2016

km 235,6 in Rambin (Rügen)
Foto: Matthias Manske, 21.05.2016

km 235,8 in Rambin (Rügen)
Foto: Karl-Hans Fischer, 22.06.1997

km 235,8 in Rambin (Rügen)
Foto: Matthias Manske, 21.05.2016

km 236,0 zwischen Rambin (Rügen) und Samtens
Foto: Matthias Manske, 21.05.2016

km 236,2 zwischen Rambin (Rügen) und Samtens
Foto: Heinz Treber, 14,12.2016

km 236,4 zwischen Rambin (Rügen) und Samtens
Foto: Matthias Manske, 21.05.2016

km 236,4 zwischen Rambin (Rügen) und Samtens
Foto: Matthias Manske, 21.05.2016

km 236,4 zwischen Rambin (Rügen) und Samtens
Foto: Heinz Treber, 14,12.2016

km 236,8 und 237,0 zwischen Rambin (Rügen) und Samtens
Foto: Heinz Treber, 14,12.2016

km 236,8 zwischen Rambin (Rügen) und Samtens
Foto: Heinz Treber, 14,12.2016

km 237,0 zwischen Rambin (Rügen) und Samtens
Foto: Matthias Manske, 21.05.2016

km 237,1 zwischen Rambin (Rügen) und Samtens
Foto: Matthias Manske, 21.05.2016

km 237,5 zwischen Rambin (Rügen) und Samtens
Foto: Matthias Manske, 21.05.2016

km 237,9 zwischen Rambin (Rügen) und Samtens
Foto: Matthias Manske, 21.05.2016

km 238,0 zwischen Rambin (Rügen) und Samtens
Foto: Matthias Manske, 21.05.2016

km 238,9 zwischen Rambin (Rügen) und Samtens
Foto: Matthias Manske, 21.05.2016

km 239,0 zwischen Rambin (Rügen) und Samtens
Foto: Matthias Manske, 21.05.2016

km 239,6 in Samtens
Foto: Matthias Manske, 21.05.2016

km 240,0 in Samtens - Blick Richtung Saßnitz
Foto: Matthias Manske, 21.05.2016

km 240,0 in Samtens
Foto: Matthias Manske, 21.05.2016

km 240,0 in Samtens - Blick Richtung Berlin
Foto: Michael Hillmann, 25.05.2016

km 240,0 (Tafel) und km 240,1 (Stein) in Samtens - Blick Richtung Stralsund - Berlin
159 223
Foto: Cordel Schwella, April 2024

km 240,2 in Samtens - Blick Richtung Berlin
Foto: Matthias Manske, 21.05.2016

km 240,4 in Samtens
Foto: Matthias Manske, 21.05.2016

km 240,4 in Samtens
Foto: Matthias Manske, 21.05.2016

km 240,6 in Samtens - 03 0010
Foto: Peter Mohr, 19.08.1977

km 240,6 in Samtens
Foto: Matthias Manske, 21.05.2016

km 240,6 in Samtens
Foto: Matthias Manske, 21.05.2016

km 240,8 in Samtens
Foto: Matthias Manske, 21.05.2016

km 240,8 in Samtens
Foto: Matthias Manske, 21.05.2016

km 241,0 in Samtens
Foto: Matthias Manske, 21.05.2016

km 241,2 zwischen Samtens und Teschenhagen
Foto: Matthias Manske, 21.05.2016

km 241,4 zwischen Samtens und Teschenhagen
Foto: Matthias Manske, 21.05.2016

km 241,6 zwischen Samtens und Teschenhagen
Foto: Matthias Manske, 21.05.2016

km 241,8 zwischen Samtens und Teschenhagen
Foto: Matthias Manske, 21.05.2016

km 242,0 zwischen Samtens und Teschenhagen
Foto: Matthias Manske, 21.05.2016

km 242,2 zwischen Samtens und Teschenhagen
Foto: Matthias Manske, 21.05.2016

km 242,4 zwischen Samtens und Teschenhagen
Foto: Matthias Manske, 21.05.2016

km 242,6 zwischen Samtens und Teschenhagen
Foto: Matthias Manske, 21.05.2016

km 242,8 zwischen Samtens und Teschenhagen
Foto: Matthias Manske, 21.05.2016

km 243,0 zwischen Samtens und Teschenhagen
Foto: Matthias Manske, 21.05.2016
km 243,0 (Tafel und Stein) zwischen Samtens und Teschenhagen - Blick Richtung Saßnitz
243 936
Foto: Cordel Schwella, 18.06.2022
km 243,0 (Tafel und Stein) zwischen Samtens und Teschenhagen - Blick Richtung Saßnitz
132 426
Foto: Cordel Schwella, 09.05.2023

km 243,2 zwischen Samtens und Teschenhagen
Foto: Matthias Manske, 21.05.2016

km 243,4 zwischen Samtens und Teschenhagen
Foto: Matthias Manske, 21.05.2016

km 243,5 zwischen Samtens und Teschenhagen - Blick Richtung Stralsund - Berlin
246 010
Foto: Cordel Schwella, 09.03.2023
km 243,5 zwischen Samtens und Teschenhagen - Blick Richtung Stralsund - Berlin
111 074
Foto: To Pa, 04.03.2024

km 243,5 zwischen Samtens und Teschenhagen - Blick Richtung Stralsund - Berlin
V160.10 (203 142) und V160.8 (203 616)
Foto: Cordel Schwella, 07.03.2024

km 243,6 zwischen Samtens und Teschenhagen - Blick Richtung Stralsund - Berlin
Foto: Matthias Manske, 21.05.2016

km 243,8 zwischen Samtens und Teschenhagen - Blick Richtung Stralsund - Berlin
Foto: Matthias Manske, 21.05.2016

km 243,9 zwischen Samtens und Teschenhagen - 03 0048
Foto: Jens van der Vorm, Mai 1978 Sammlung: André Visser

km 244,0 zwischen Samtens und Teschenhagen
Foto: Matthias Manske, 21.05.2016

km 244,2 und km 244,3 zwischen Samtens und Teschenhagen
Foto: Matthias Manske, 21.05.2016

km 244,4 und km 244,6 zwischen Samtens und Teschenhagen
Foto: Matthias Manske, 21.05.2016

km 244,6 zwischen Samtens und Teschenhagen
Foto: Matthias Manske, 21.05.2016

km 244,6 und km 244,8 zwischen Samtens und Teschenhagen
Foto: Matthias Manske, 21.05.2016

km 245,0 (Stein und Tafel) zwischen Samtens und Teschenhagen
Foto: Stefan Motz, 29.08.2015

km 245,0 zwischen Samtens und Teschenhagen
Foto: Stefan Motz, 29.08.2015

km 245,0 zwischen Samtens und Teschenhagen - Blick Richtung Saßnitz
Foto: Matthias Manske, 21.05.2016
km 245,0 zwischen Samtens und Teschenhagen - Blick Richtung Saßnitz
143 204
Foto: Cordel Schwella, Mai 2022

km 245,0 (Stein und Tafel) zwischen Samtens und Teschenhagen - Blick Richtung Saßnitz
Foto: Cordel Schwella, 01.06.2022

km 245,0 zwischen Samtens und Teschenhagen - Blick Richtung Berlin
229 181
Foto: Michael Hillmann, 25.05.2016

km 245,2 zwischen Samtens und Teschenhagen
Foto: Matthias Manske, 21.05.2016

km 245,6 zwischen Samtens und Teschenhagen - Blick Richtung Stralsund - Berlin
159 223
Foto: Cordel Schwella, April 2024

km 245,6 zwischen Samtens und Teschenhagen - Blick Richtung Stralsund - Berlin
V160.6 (203 144) und V160.8 (203 616)
Foto: Cordel Schwella, 30.04.2024

km 245,7 zwischen Samtens und Teschenhagen
Foto: Stefan Motz, 29.08.2015

km 245,7 zwischen Samtens und Teschenhagen
Foto: Stefan Motz, 29.08.2015

km 246,0 zwischen Samtens und Teschenhagen
Foto: Matthias Manske, 21.05.2016

km 246,2 zwischen Samtens und Teschenhagen
Foto: Matthias Manske, 21.05.2016

km 246,4 zwischen Samtens und Teschenhagen
Foto: Matthias Manske, 21.05.2016

km 246,6 zwischen Samtens und Teschenhagen
Foto: Matthias Manske, 21.05.2016

km 247,2 zwischen Samtens und Teschenhagen
Foto: Matthias Manske, 21.05.2016

km 247,3 in Teschenhagen
Foto: Matthias Manske, 21.05.2016

km 247,4 in Teschenhagen
Foto: Matthias Manske, 21.05.2016

km 247,6 in Teschenhagen
Foto: Karl-Hans Fischer, 22.06.1997

km 247,8 in Teschenhagen
Foto: Matthias Manske, 21.05.2016

km 248,0 zwischen Teschenhagen und Bergen auf Rügen
Foto: Karl-Hans Fischer, 22.06.1997

km 248,0 zwischen Teschenhagen und Bergen auf Rügen
Foto: Matthias Manske, 21.05.2016

km 248,4 zwischen Teschenhagen und Bergen auf Rügen
Foto: Matthias Manske, 21.05.2016

km 248,6 zwischen Teschenhagen und Bergen auf Rügen
Foto: Matthias Manske, 21.05.2016

km 249,0 zwischen Teschenhagen und Bergen auf Rügen
Foto: Matthias Manske, 21.05.2016

km 249,0 zwischen Teschenhagen und Bergen auf Rügen
01 0509
Foto: Mario Trophy Lange, 03.10.2020

km 249,2 zwischen Teschenhagen und Bergen auf Rügen - 03 0010
Foto: Peter Mohr, 12.05.1979

km 249,2 zwischen Teschenhagen und Bergen auf Rügen - Blick Richtung Saßnitz
Foto: Matthias Manske, 21.05.2016

km 249,2 zwischen Teschenhagen und Bergen auf Rügen - Blick Richtung Berlin
118 770
Foto: Michael Hillmann, 21.05.2016

km 249,3 und km 249,4 zwischen Teschenhagen und Bergen auf Rügen - Blick Richtung Saßnitz
Foto: Ingmar Weidig, 17.08.2013

km 249,4 zwischen Teschenhagen und Bergen auf Rügen - Blick Richtung Saßnitz
01 0509
Foto: Michael Hillmann, 21.05.2016

km 249,4 zwischen Teschenhagen und Bergen auf Rügen - Blick Richtung Berlin
Foto: Matthias Manske, 21.05.2016

km 249,6 zwischen Teschenhagen und Bergen auf Rügen
Foto: Matthias Manske, 21.05.2016

km 249,6 zwischen Teschenhagen und Bergen auf Rügen
DB Systemtechnik Messzug geschoben von 182 506
Foto: Cordel Schwella, 09.03.2023

km 249,6 zwischen Teschenhagen und Bergen auf Rügen
DB Systemtechnik Messzug geschoben von 182 506
Foto: Cordel Schwella, 09.03.2023

km 249,8 zwischen Teschenhagen und Bergen auf Rügen
01 0509
Foto: Mario Trophy Lange, 03.10.2020

km 250,0 zwischen Teschenhagen und Bergen auf Rügen
Foto: Matthias Manske, 21.05.2016

km 251,0 in Bergen auf Rügen
Foto: Matthias Manske, 21.05.2016

km 251,2 in Bergen auf Rügen
Foto: Heinz Treber, 14.12.2016

km 251,4 in Bergen auf Rügen - 03 0010
Foto: Peter Mohr, 12.05.1979

km 251,5 in Bergen auf Rügen - 03 0010
Foto: Peter Mohr, 12.05.1979

km 251,6 in Bergen auf Rügen
Foto: Heinz Treber, 14.12.2016

km 251,6 in Bergen auf Rügen
Foto: Heinz Treber, 14.12.2016

km 251,8 in Bergen (Rügen) - 143 860
Foto: Ingmar Weidig, 27.06.1994

km 251,8 in Bergen auf Rügen
Foto: Heinz Treber, 14.12.2016

km 251,8 in Bergen auf Rügen
Foto: Heinz Treber, 14.12.2016

km 251,8 in Bergen auf Rügen
Foto: Heinz Treber, 14.12.2016
bei km 251,9 in Bergen auf Rügen
km 250,7 ist die ursprüngliche Kilometrierung noch
03 0078
Foto: Sammlung Gerd Bembnista

km 251,9 in Bergen auf Rügen - Blick Richtung Saßnitz
143 830, 202 651 und 346 632
Foto: Wolf-Dietmar Loos, 16.04.1993

km 252,0 in Bergen auf Rügen - Blick Richtung Stralsund - Berlin
202 737 mit RB 17 578
Foto: Gerhard Feyerabend, 21.08.1997

km 252,0 in Bergen auf Rügen - 650 032
Foto: Heinz Treber, 14.12.2016

km 252,0 in Bergen auf Rügen
Foto: Heinz Treber, 14.12.2016

km 252,0 in Bergen auf Rügen - 650 032
Foto: Heinz Treber, 14.12.2016

km 252,0 in Bergen auf Rügen
86 1333
Foto: Gerhard Feyerabend, 26.07.2023

m 252,0 in Bergen auf Rügen
4746 307 und 86 1333
Foto: Melanie Schlegel, 27.07.2024

km 252,2 in Bergen (Rügen)
Foto: Ingmar Weidig, 08.08.2013

km 252,2 (Tafel und Stein) in Bergen auf Rügen
Foto: Heinz Treber, 14.12.2016

km 252,2 in Bergen auf Rügen
Foto: Heinz Treber, 14.12.2016

km 252,2 in Bergen auf Rügen
Am Haus ist noch der Name Bergen (Rügen) zu erkennen.
Foto: Heinz Treber, 14.12.2016

km 252,2 in Bergen auf Rügen
Foto: Heinz Treber, 14.12.2016

km 252,5 in Bergen auf Rügen
Foto: Matthias Manske, 21.05.2016

km 253,6 zwischen Bergen (Rügen) und Lietzow (Rügen) - Blick Richtung Sassnitz
159 005
Foto: Cordel Schwella, April 2024

km 254,8 zwischen Bergen (Rügen) und Lietzow (Rügen)
Foto: Ingmar Weidig, 17.08.2013

km 254,8 zwischen Bergen (Rügen) und Lietzow (Rügen)
Foto: Dieselkutscher, 25.03.2015

km 261,2 in Lietzow (Rügen)
Foto: Heinz Treber, 14.12.2016

km 261,3 in Lietzow (Rügen)
Foto: Ingmar Weidig, 16.08.2013

km 261,4 in Lietzow (Rügen)
Foto: Heinz Treber, 27.10.2015

km 261,4 in Lietzow (Rügen) - 101 123
Foto: Dietmar Levie, 14.08.2020

km 261,4 in Lietzow (Rügen)
Foto: Dietmar Levie, 14.08.2020

km 261,4 in Lietzow (Rügen)
Foto: Melanie Schlegel, 27.07.2024

km 261,6 in Lietzow (Rügen)
Foto: Heinz Treber, 14.12.2016

km 261,8 in Lietzow (Rügen)
Foto: Melanie Schlegel, 27.07.2024

km 262,2 in Lietzow (Rügen) und Stellwerk B2
Im Hintergrund nach rechts abgehend die Strecke Lietzow (Rügen) 0,0 - Ostseebad Binz 12,12
Foto: Karl-Hans Fischer, 22.06.1997
km 263,6 zwischen Lietzow (Rügen) und Sassnitz-Mukran
MEG 607 (143 310) mit einer Talent 3 - Einheit
Foto: Cordel Schwella, 01.08.2023

km 263,6 zwischen Lietzow (Rügen) und Sassnitz-Mukran
232 567
Foto: Cordel Schwella, 15.10.2023

km 264,8 zwischen Lietzow (Rügen) und Sassnitz-Mukran - 151 124
Foto: Norman Gottberg, 19.07.2017

km 265,2 (Tafel) am Abzw Sassnitz-Mukran/Borchtitz
Davor km 264,1 (Stein)
Hier zeigt sich auch der Kilometrierungsunterschied.
Foto: Heinz Treber, 14.12.2016

km 265,2 (Tafel) am Abzw Sassnitz-Mukran/Borchtitz
km 0,2 gehört zur Strecke Abzw Sassnitz-Mukran/Borchtitz, W1, km -0,021 - Abzw Sassnitz-Mukran/Borchtitz 0,28 - Sassnitz-Mukran Mitte 2,77 - Sassnitz-Mukran Pbf 5,02 (6954)
Foto: Heinz Treber, 14.12.2016

km 264,1 (Stein) am Abzw Sassnitz-Mukran/Borchtitz
Foto: Heinz Treber, 14.12.2016

km 264,1 (Stein) am Abzw Sassnitz-Mukran/Borchtitz
Foto: Heinz Treber, 14.12.2016

km 265,2 (Tafel) am Abzw Sassnitz-Mukran/Borchtitz
Davor km 264,1 (Stein) der alten Kilometrierung.
Foto: Heiko Golla, 26.06.2017
km 265,2 (Tafel) am Abzw Sassnitz-Mukran/Borchtitz
Davor km 264,1 (Stein) der alten Kilometrierung.
243 936 und 243 848
Foto: Cordel Schwella, 03.08.2023
km 265,4 am Abzw Sassnitz-Mukran/Borchtitz
193 838
Foto: Cordel Schwella, 22.05.2022

km 271,1 bei Lancken - 120 166
Foto: Peter Mohr, 18.08.1977

km 272,5 in Saßnitz - Blick Richtung Streckenende
03 0077
Foto: Peter Mohr, 18.08.1977

km 272,5 in Saßnitz - Blick Richtung Streckenende
120 019
Foto: Dieselkutscher, 07.03.1989

km 272,6 in Saßnitz - 03 0077
Rechts versteckt ein Stein - gehört zur Strecke nach Saßnitz Hafen
Foto: Peter Mohr, 17.08.1977

bei km 273,6 (neu) in Saßnitz
Rechts km 274,0 (neu) nach Saßnitz Hafen
242 004 und eine weitere und 143 630
Foto: Wolf-Dietmar Loos, 16.04.1993

bei km 273,6 (neu) in Saßnitz
Rechts km 274,0 (neu) nach Saßnitz Hafen
Foto: Wolf-Dietmar Loos, 16.04.1993

km 272,6 und km 272,8 in Saßnitrz - Blick Richtung Stralsund - Berlin
03 0077
Foto: Peter Mohr, 18.08.1977

km 272,6 in Saßnitz - Blick Richtung Stralsund
243 897
Foto: Ingmar Weidig, 17.08.1990

km 272,8 in Saßnitz - Blick Richtung Streckenende
429 028 als RE 13008
Foto: Dieselkutscher, 05.03.2018

Saßnitz - Blick Richtung Stralsund
232 535
Foto: Karl-Hans Fischer, 21.06.1997

km 272,8 (Stein) in Saßnitz - Blick Richtung Stralsund
Links etwas versteckt km 274,0 (Tafel) - gehört schon zur Strecke nach Saßnitz Hafen.
Foto: Heinz Treber, 26.08.2000

km 272,8 (Stein) in Saßnitz
Der Stein zeigt die Kilometrierung von Berlin aus an.
Die Kilometertafel zeigt km 273,8 an.
Foto: Andreas Melchert, März 2015

km 273,8 in Saßnitz - Blick Richtung Streckenende
143 xxx, 143 827 und 298 084
Foto: Wolf-Dietmar Loos, 16.04.1993

km 273,8 in Saßnitz - Blick Richtung Streckenende
Foto: Christoph Arndt, 28.09.1993

km 273,8 in Saßnitz - Blick Richtung Streckenende
143 570
Foto: Gerhard Feyerabend, 21.08.1997
km 273,8 in Saßnitz - Blick Richtung Streckenende
143 140
Foto: Sammlung Tino Petrick

km 273,8 in Saßnitz - Blick Richtung Streckenende
Foto: Heinz Treber, 26.08.2000

km 273,8 in Saßnitz - Blick Richtung Streckenende
Foto: Christoph Arndt, 15.06.2001

km 273,8 in Saßnitz - Blick Richtung Streckenende
Foto: Christoph Arndt, 15.07.2017

km 273,8 in Saßnitz - Blick Richtung Stralsund - Berlin
Foto: Christoph Arndt, 28.09.1993

km 273,8 in Saßnitz - Blick Richtung Stralsund - Berlin
Foto: Christoph Arndt, 15.06.2001

bei km 273,8 in Saßnitz - Blick Richtung Stralsund - Berlin
Foto: Christoph Arndt, 15.07.2017

km 273,8 in Saßnitz - Blick Richtung Stralsund - Berlin
Foto: Matthias Manske, 05.11.2022

km 273,0 - wahrscheinlich aus Platzgründen quer zum Gleis aufgestellt
298 084
Foto: Wolf-Dietmar Loos, 16.04.1993

km 273,0 - wahrscheinlich aus Platzgründen quer zum Gleis aufgestellt
Foto: Wolf-Dietmar Loos, 16.04.1993

km 273,0 - wahrscheinlich aus Platzgründen quer zum Gleis aufgestellt
Foto: Matthias Manske, 27.12.2012

km 273,0 - Rückseite
Foto: Matthias Manske, 27.12.2012

km 273,2
Foto: Matthias Manske, 27.12.2012

km 273,3
Foto: Matthias Manske, 27.12.2012

km 273,8
Foto: Matthias Manske, 27.12.2012

km 273,9
Foto: Matthias Manske, 27.12.2012

km 273,9 - aus der anderen Richtung
Foto: Matthias Manske, 27.12.2012

Gleisplan Saßnitz Hafen 1979
Quelle: SporenplanOnline

km 275,2 (rechts oben) in Saßnitz Hafen
298 062 (Funkname Regina 22) beim rangieren
Foto: Stefan Hinder, 1993

km 275,2 in Saßnitz Hafen
298 062 (Funkname Regina 22) am Schluß
Foto: Stefan Hinder, 1993

km 275,4 in Saßnitz Hafen
298 057 (Funkname Regina 24) und am Schluß 298 062 (Funkname Regina 22)
Foto: Stefan Hinder, 1993

Saßnitz Hafen - Fähranleger - 232 535 und 143 xxx
Foto: Karl-Hans Fischer, 21.06.1997
| Startseite | Strecken in Deutschland (Tabelle1) | Strecken in Thüringen | Kilometrierung | Impressum |