106
Leinefelde 0,0 - Silberhausen Trennungsbf 8,22 - Schwebda 41,27 - Niederhone 49,20 - Malsfeld Bf 89,61 - Treysa 129,99

Auszug Streckenkarte 1938
Quelle: [1]
| Kilometrierungsanfang (alt) | Leinefelde | EG | 0,00 |
| Kilometrierungsende (alt) | Treysa | EG | 130,00 |
| Kilometrierungsanfang (neu) | Leinefelde | 0,022 | |
| Kilometrierungsende (neu) | Silberhausen Trennungsbf | Stw. Sn Weiche 8 | 8,225 |
| Kilometrierungsanfang (neu) | Silberhausen Trennungsbf | Stw. Sn Weiche 8 | 8,225 |
| Kilometrierungsende (neu) | Treysa | Weiche 70 (G-Bahn) | 131,192 |
| Eschwege - Niederhone | 3,39 km | Eröffnung: 31.10.1875 |
| Niederhone - Malsfeld | 40,41 km | Eröffnung: 15.05.1879 |
| Malsfeld - Treysa | 40,39 km | Eröffnung: 01.08.1879 |
| Leinefelde - Eschwege | 45,91 km | Eröffnung: 15.05.1880 |
| Malsfeld - Beiseförth (Güterverbindungsgleis) | 2,46 km | Eröffnung: 01.07.1911 |
Eine interessante Streckenbegehung, insbesondere der Tunnel findet man auf den Seiten von Victor M. Lansink aus Utrecht
Teil 1 (Silberhausen - Küllstedter Tunnel)
Teil 2 (Mühlenberg-Tunnel - Frieda-Tunnel)
Teil 3 (Frieda-Tunnel - Bischofferoder Tunnel)
Teil 4 (Spangenberg - Homberg)
Teil 5 (Homberg - Treysa).
Stand der Kilometrierung: 1916
Leinefelde 0,0 - Silberhausen Trennungsbf 8,22 - Schwebda 41,27 - Niederhone 49,20 - Malsfeld Bf 89,61 - Treysa 129,99
Die gesamte Strecke gehört zur Eisenbahndirektion Cassel.
| Leinefelde | 0,00 | km 139,35 der Strecke Halle (Saale) Hbf 0,0 - Blankenheim Trennungsbf 46,59 - Sangerhausen 59,22 - Nordhausen 97,07 - Wolkramshausen 105,29 - Bleicherode Ost 115,41 - Leinefelde 139,35 - Heiligenstadt 155,14 - Eichenberg 170,48 - Hann Münden 193,54 |
| km 39,85 der Strecke Wulften 0,0 - Duderstadt 20,57 - Teistungen 25,47 - Worbis 34,94 - Leinefelde 39,85 | ||
| km 67,10 der Strecke Gotha 0,0 - Mühlhausen (Thür) 39,93 - Silberhausen Trennungsbf 58,90 - Leinefelde 67,10 | ||
| Birkungen | 3,41 | km 63,71 der Strecke Gotha 0,0 - Mühlhausen (Thür) 39,93 - Silberhausen Trennungsbf 58,90 - Leinefelde 67,10 |
| Silberhausen Trennungsbf | 8,22 | km 58,90 der Strecke Gotha 0,0 - Mühlhausen (Thür) 39,93 - Silberhausen Trennungsbf 58,90 - Leinefelde 67,10 |
| Dingelstädt (Eichsfeld) | 10,14 | |
| Kefferhausen | 12,70 | |
| Küllstedt | 17,90 | |
| Tunneleingang | 19,48 | |
| Küllstedter Tunnel | 1530,2 m | |
| Tunnelausgang | 21,01 | |
| Tunneleingang | 25,53 | |
| Mühlenberg I-Tunnel | 155 m; auch Kleiner Mühlenberg-Tunnel | |
| Tunnelausgang | 23,68 | |
| Effelder (Eichsfeld) | 23,83 | |
| Tunneleingang | 24,31 | |
| Mühlenberg II-Tunnel | 343 m; auch Großer Mühlenberg-Tunnel | |
| Tunnelausgang | 24,65 | |
| Tunneleingang | 24,7 | |
| Heiligenberg-Tunnel | 198 m | |
| Tunnelausgang | 25,5 | |
| Großbartloff | 25,85 | |
| Tunneleingang | ||
| Entenberg-Tunnel | ||
| Tunnelausgang | ||
| Lengenfeld unterm Stein | 31,35 | |
| Geismar | 34,66 | |
| Abzw Frieda | 38,25 | km 29,05 der Strecke Heiligenstadt 0,0 - Fürstenhagen (Eichsfeld) 14,14 - Abzw Frieda 29,05 |
| Tunneleingang | ||
| Frieda-Tunnel | 1066 m | |
| Tunnelausgang | ||
| Schwebda | 41,27 | km 0,0 der Strecke Schwebda 0,0 - Treffurt 16,60 - Wartha (Werra) 45,90 |
| Grebendorf | 43,33 | |
| Eschwege | 45,91 | |
| Niederhone | 49,20 | km 201,61 der Strecke Frankfurt (Main) Hbf 0,0 - Hanau Hbf 22,92 - Schlüchtern 74,34 - (bis 1913: Elm 82,0 - Flieden 92,3) - (ab 1913 Distelrasentunnel) Flieden 85,24 = 92,20 (siehe auch Tabelle 5, Ziffer 3) - Fulda 110,56 - Bebra 166,56 - Niederhone 201,61 - Göttingen 246,73 |
| Reichensachsen West | 53,64 | |
| Bischhausen | 57,02 | |
| Waldkappel | 62,26 | km 49,86 der Strecke Cassel Hbf 0,0 - Waldkappel 49,86 |
| Burghofen | 68,50 | |
| Tunneleingang | ||
| Bischofferoder Tunnel | 1503 m; auch Eisberg-Tunnel | |
| Tunnelausgang | ||
| Bischofferode (Kr Melsungen) | 73,31 | |
| Spangenberg | 79,98 | |
| Mörshausen | 85,40 | |
| Malsfeld Bf | 89,61 | km 235,55 der Strecke [Halle (Saale) Hbf 0,0] - Beiseförth 233,09 - Malsfeld Bf 235,55 |
| Niederbeisheim | 97,22 | |
| Oberbeisheim | 101,34 | |
| Tunneleingang | ||
| Oberbeisheimer Tunnel | 916 m; auch Remsfelder Tunnel | |
| Tunnelausgang | ||
| Remsfeld | 103,94 | |
| Homberg (Bez Cassel) | 108,93 | |
| Sondheim | 112,43 | |
| Wernswig | 113,47 | |
| Frielendorf | 117,55 | |
| Leimsfeld (Bez Cassel) | 122,02 | |
| Ziegenhain (Bez Cassel) Nord | 126,10 | |
| Treysa | 129,99 | km 62,23 der Strecke Cassel Hbf 0,0 - Gießen 133,97 - Friedberg (Hess) 166,07 - Frankfurt (Main) West 196,43; 1978 verlängert bis Frankfurt (Main) Hbf 199,79 |
| km 59,77 der Strecke Bad Hersfeld 0,0 - Treysa 59,77 |
Stand der Kilometrierung: 1945/1947
Leinefelde 0,0 - Silberhausen Trennungsbf 8,22 - Geismar 34,66 - Grenze Sowjetische Besatzungszone/Britische Besatzungszone 37,86 - Schwebda 41,27 - Eschwege West 49,20 - Malsfeld 89,61 - Treysa 130,00
| Leinefelde | 0,00 | km 139,35 der Strecke Halle (Saale) Hbf 0,0 - Blankenheim Trennungsbf 46,59 - Sangerhausen 59,22 - Nordhausen 97,07 - Wolkramshausen 105,29 - Bleicherode Ost 115,41 - Leinefelde 139,35 - Heiligenstadt 155,14 - Arenshausen 166,99 - Grenze Sowjetische Besatzungszone/Britische Besatzungszone 169,15 - Eichenberg 170,48 - Hann Münden 193,54 |
| km 39,85 der Strecke Wulften 0,0 - Duderstadt 20,57 - Grenze Britische Besatzungszone/Sowjetische Besatzungszone 23,21 - Teistungen 25,47 - Worbis 34,94 - Leinefelde 39,85 | ||
| km 67,10 der Strecke Gotha 0,0 - Mühlhausen (Thür) 39,93 - Silberhausen Trennungsbf 58,90 - Leinefelde 67,10 | ||
| Birkungen | 3,41 | km 63,71 der Strecke Gotha 0,0 - Mühlhausen (Thür) 39,93 - Silberhausen Trennungsbf 58,90 - Leinefelde 67,10 |
| Silberhausen Trennungsbf | 8,22 | km 58,90 der Strecke Gotha 0,0 - Mühlhausen (Thür) 39,93 - Silberhausen Trennungsbf 58,90 - Leinefelde 67,10 |
| Dingelstädt (Eichsfeld) | 10,14 | |
| Kefferhausen | 12,68 | |
| Küllstedt | 17,90 | |
| Tunneleingang | 19,48 | |
| Küllstedter Tunnel | 1530,2 m | |
| Tunnelausgang | 21,01 | |
| Tunneleingang | 25,53 | |
| Mühlenberg I-Tunnel | 155 m; auch Kleiner Mühlenberg-Tunnel | |
| Tunnelausgang | 23,68 | |
| Effelder (Eichsfeld) | 23,85 | |
| Tunneleingang | 24,31 | |
| Mühlenberg II-Tunnel | 343 m; auch Großer Mühlenberg-Tunnel | |
| Tunnelausgang | 24,65 | |
| Tunneleingang | 24,7 | |
| Heiligenberg-Tunnel | 198 m | |
| Tunnelausgang | 25,5 | |
| Großbartloff | 25,85 | |
| Tunneleingang | 27,94 | |
| Entenberg-Tunnel | 288 m | |
| Tunnelausgang | 28,22 | |
| Lengenfeld unterm Stein | 31,35 | |
| Geismar | 34,66 | |
| Sowjetische Besatzungszone | ||
| Grenze | 37,86 | auch Grenze Rbd Erfurt/Rbd Kassel |
| Britische Besatzungszone | ||
| Tunneleingang | ||
| Frieda-Tunnel | 1066 m | |
| Tunnelausgang | ||
| Schwebda | 41,27 | km 0,0 der Strecke Schwebda 0,0 - Heldra 14,15 - Grenze Britische Besatzungszone/Sowjetische Besatzungszone 14,68 (15,50) - Treffurt 16,60 - Wartha (Werra) 45,90 |
| km 32,06 der Strecke Heiligenstadt 0,0 - Fürstenhagen (Eichsfeld) 14,14 - Großtöpfer 26,73 - Grenze Sowjetische Besatzungszone/Britische Besatzungszone 28,74 - Schwebda 32,06 | ||
| Grebendorf | 43,33 | |
| Eschwege | 45,91 | |
| Eschwege West | 49,20 | km 201,61 der Strecke Frankfurt (Main) Hbf 0,0 - Hanau Hbf 22,92 - Schlüchtern 74,34 - (bis 1913: Elm 82,0 - Flieden 92,3) - (ab 1913 Distelrasentunnel) Flieden 85,24 = 92,20 (siehe auch Tabelle 5, Ziffer 3) - Fulda 110,56 - Bebra 166,56 - Eschwege West 201,61 - Göttingen 247,11 |
| Reichensachsen West | 53,64 | |
| Bischhausen | 57,02 | |
| Waldkappel | 62,26 | km 49,65 der Strecke Kassel Hbf 0,0 - Waldkappel 49,65 |
| Burghofen | 68,50 | |
| Tunneleingang | ||
| Bischofferoder Tunnel | 1503 m; auch Eisberg-Tunnel | |
| Tunnelausgang | ||
| Bischofferode (Kr Melsungen) | 73,31 | |
| Spangenberg | 79,98 | |
| Mörshausen | 85,40 | |
| Abzw | ?? | Verbindungskurve zum Abzw Ziegelhütte an der Strecke Halle (Saale) Hbf - Guntershausen in Ri Guntershausen |
| Malsfeld | 89,61 | km 235,55 der Strecke [Halle (Saale) Hbf -0,17] - Beiseförth 233,09 - Malsfeld Bf 235,55 |
| Niederbeisheim | 97,22 | |
| Oberbeisheim | 101,34 | |
| Tunneleingang | ||
| Oberbeisheimer Tunnel | 916 m; auch Remsfelder Tunnel | |
| Tunnelausgang | ||
| Remsfeld | 103,97 | |
| Homberg (Bez Kassel) | 108,93 | |
| Sondheim | 112,43 | |
| Wernswig | 113,47 | |
| Frielendorf | 117,55 | |
| Leimsfeld (Bez Kassel) | 122,02 | |
| Ziegenhain (Bez Kassel) Nord | 126,10 | |
| Treysa | 130,00 | km 62,23 der Strecke Kassel Hbf 0,0 - Gießen 133,97 - Friedberg (Hess) 166,07 - Frankfurt (Main) West 196,43; 1978 verlängert bis Frankfurt (Main) Hbf 199,79 |
| km 59,77 der Strecke Bad Hersfeld 0,0 - Treysa 59,77 |
Stand der Kilometrierung: 1967/1980
Leinefelde 0,0 - Abzw Silberhausen Stw Sn 8,22 - Geismar 34,66 - Streckenunterbrechung - Grenze DDR/BRD 37,86 - Streckenunterbrechung - Schwebda 41,27 - Eschwege West 49,20 -Waldkappel 62,26 - Streckenunterbrechung - Spangenberg 79,98 - Malsfeld 89,61 - Treysa 129,99
| Leinefelde | 0,00 | km 139,35 der Strecke Halle (Saale) Hbf 0,0 - Blankenheim Trennungsbf 46,59 - Sangerhausen 59,22 - Nordhausen 97,07 - Wolkramshausen 105,29 - Bleicherode Ost 115,41 - Leinefelde 139,35 - Heiligenstadt 155,14 - Arenshausen 166,99 - Streckenunterbrechung - Grenze DDR/BRD 169,23 - Streckenunterbrechung - Eichenberg 170,51 - Hann Münden 193,54 |
| km 39,85 der Strecke Wulften 0,06 - Duderstadt 20,59 - Streckenunterbrechung - Grenze BRD/DDR 23,21 - Streckenunterbrechung - Teistungen 25,47 - Worbis 34,94 - Leinefelde 39,85 | ||
| km 67,10 der Strecke Gotha 0,0 - Mühlhausen (Thür) 39,93 - Abzw Silberhausen Stw Sn 58,90 - Leinefelde 67,10 | ||
| Birkungen | 3,41 | km 63,71 der Strecke Gotha 0,0 - Mühlhausen (Thür) 39,93 - Abzw Silberhausen Stw Sn 58,90 - Leinefelde 67,10 |
| Abzw Silberhausen Stw Sn | 8,22 | km 58,90 der Strecke Gotha 0,0 - Mühlhausen (Thür) 39,93 - Abzw Silberhausen Stw Sn 58,90 - Leinefelde 67,10 |
| Dingelstädt (Eichsfeld) | 10,14 | |
| Kefferhausen | 12,68 | |
| Küllstedt | 17,90 | |
| Tunneleingang | 19,48 | |
| Küllstedter Tunnel | 1530,2 m | |
| Tunnelausgang | 21,01 | |
| Tunneleingang | 25,53 | |
| Mühlenberg I-Tunnel | 155 m; auch Kleiner Mühlenberg-Tunnel | |
| Tunnelausgang | 23,68 | |
| Effelder (Eichsfeld) | 23,85 | |
| Tunneleingang | 24,31 | |
| Mühlenberg II-Tunnel | 343 m; auch Großer Mühlenberg-Tunnel | |
| Tunnelausgang | 24,65 | |
| Tunneleingang | 24,7 | |
| Heiligenberg-Tunnel | 198 m | |
| Tunnelausgang | 25,5 | |
| Großbartloff | 25,85 | |
| Tunneleingang | 27,94 | |
| Entenberg-Tunnel | 288 m | |
| Tunnelausgang | 28,22 | |
| Lengenfeld unterm Stein | 31,35 | |
| Geismar | 34,66 | |
| Streckenunterbrechung | ||
| DDR | ||
| Grenze | 37,38 | auch Grenze Rbd Erfurt/BD Frankfurt (Main) |
| BRD | ||
| Tunnelanfang | ||
| Frieda-Tunnel | 1066 m | |
| Tunnelausgang | ||
| Schwebda | 41,27 | km 0,0 der Strecke Schwebda 0,0 - Großburschla 12,95 - Streckenunterbrecung - Grenze BRD/DDR 14,68 (15,50) - Streckenunterbrechung - Mihla 30,6 - Wartha (Werra) 45,90 |
| km 32,06 der Strecke Heiligenstadt 0,0 - Heiligenstadt Ost 2,56 - Streckenunterbrechung - Grenze DDR/BRD 28,17 - Schwebda 32,06 | ||
| Grebendorf | 43,32 | |
| Eschwege | 45,91 | |
| Eschwege West | 49,20 | km 201,61 der Strecke Frankfurt (Main) Hbf 0,0 - Hanau Hbf 22,98 - Schlüchtern 74,34 - (bis 1913: Elm 82,0 - Flieden 92,3) - (ab 1913 Distelrasentunnel) Flieden 85,24 = 92,19 (siehe auch Tabelle 5, Ziffer 3) - Fulda 110,56 - Bebra 166,63 - Eschwege West 201,61 - Göttingen 247,11 |
| Reichensachsen West | 53,64 | |
| Bischhausen | 57,02 | |
| Waldkappel | 62,26 | km 49,83 der Strecke Kassel Hbf 0,0 - Waldkappel 49,83 |
| Streckenunterbrechung | ||
| Tunneleingang | ||
| Bischofferoder Tunnel | 1503 m; auch Eisberg-Tunnel | |
| Tunnelausgang | ||
| Streckenunterbrechung | ||
| Spangenberg | 79,98 | |
| Malsfeld | 90,04 | km 235,56 der Strecke [Halle (Saale) Hbf 0,0] - Beiseförth 233,10 - Malsfeld Bf 235,56 |
| Niederbeisheim | 97,22 | |
| Oberbeisheim | 101,34 | |
| Tunneleingang | ||
| Oberbeisheimer Tunnel | 916 m; auch Remsfelder Tunnel | |
| Tunnelausgang | ||
| Remsfeld | 103,94 | |
| Homberg (Bez Kassel) | 108,93 | |
| Sondheim | 112,43 | |
| Wernswig | 113,47 | |
| Frielendorf | 117,55 | |
| Leimsfeld (Bez Kassel) | 122,01 | |
| Ziegenhain (Bez Kassel) Nord | 126,10 | |
| Treysa | 129,99 | km 62,23 der Strecke Kassel Hbf 0,0 - Gießen 133,97 - Friedberg (Hess) 166,07 - Frankfurt (Main) West 196,40 - Frankfurt (Main) Hbf 199,79 |
| km 59,77 der Strecke Bad Hersfeld 0,0 - Treysa 59,77 |
Stand der Kilometrierung: 2011
Eschwege 45,82 - Abzw Eschwege-Stegmühle 50,05
| Eschwege | 45,82 | |
| Eschwege Becker und Hach II | 47,10 | |
| Ober-Niederhone | 48,18 | |
| Abzw Niederhone | 48,67 | km 0,0 der Strecke Abzw Niederhone 0,0 - Abzw Eschwege-Wehre 0,47 |
| Abzw Eschwege-Stegmühle | 50,05 | km 200,76 der Strecke Frankfurt (Main) Hbf 0,0 - Hanau Hbf 22,97 - Schlüchtern 74,35 - (bis 1913: Elm 82,0 - Flieden 92,3) - (ab 1913 Distelrasentunnel) Flieden 85,24 = 92,19 (siehe auch Tabelle 5, Ziffer 3) - Fulda 110,57 - Bebra 166,55 - Eschwege West 201,56 - Göttingen 247,11 |

Leinefelde
Streckenanfang der Strecke nach Treysa; Streckenende der Strecke von Gotha
Die Drehscheibe ersparte zwei Weichen.
Foto: Stefan Motz, 08.05.1990
Leinefelde - Drehscheibe mit 110 765
Foto: Uwe Busch, 1990
Leinefelde - Abschlusssignale
Foto: Uwe Busch, 1990

Leinefelde - Drehscheibe mit 112 655
Foto: Wolf-Dietmar Loos, 03.08.1991

Leinefelde - Drehscheibe und Abschlusssignale mit 112 487
Foto: Wolf-Dietmar Loos, 03.08.1991

Leinefelde - Drehscheibe und Abschlusssignal mit 112 601
Foto: Wolf-Dietmar Loos, 03.08.1991

km 1,2 in Leinefelde - Einfahrsignal mit Frühhaltanzeiger (stellbar)
Foto: M. Adler, 1991

Lageplanausschnitt zum km 1,2
etwa 1979
Private Sammlung Klaus Erbeck

km 1,9 zwischen Leinefelde und Birkungen - Blick Richtung Treysa
km 65,2 gehört zur Strecke
Gotha - Mühlhausen (Thür) - Leinefelde
Foto: Dietmar Levie, 30.03.2021
km 1,9 zwischen Leinefelde und Birkungen
Weiß übertüncht, aber doch sichtbar.
Foto: Frank Poppe, November 2005
km 2,1 zwischen Leinefelde und Birkungen
Foto: Frank Poppe, November 2005

km 2,5 zwischen Leinefelde und Birkungen - Blick Richtung Leinefelde
Rechts die Strecke
Gotha - Mühlhausen (Thür) - Leinefelde
Foto: Dietmar Levie, 30.03.2021

km 2,5 zwischen Leinefelde und Birkungen - Blick Richtung Leinefelde
km 64,6 gehört zur Strecke
Gotha - Mühlhausen (Thür) - Leinefelde
Foto: Dietmar Levie, 30.03.2021

km 2,9 zwischen Leinefelde und Birkungen - Blick Richtung Treysa
km 64,2 gehört zur Strecke
Gotha - Mühlhausen (Thür) - Leinefelde
Foto: Dietmar Levie, 30.03.2021

km 2,9 zwischen Leinefelde und Birkungen - Blick Richtung Leinefelde
km 64,2 gehört zur Strecke
Gotha - Mühlhausen (Thür) - Leinefelde
Foto: Dietmar Levie, 30.03.2021

km 3,5 in Birkungen - Blick Richtung Treysa
km 63,6 gehört zur Strecke
Gotha - Mühlhausen (Thür) - Leinefelde
Foto: Dietmar Levie, 30.03.2021
km 3,5 in Birkungen
Foto: Frank Poppe, November 2005
Links km 3,5; rechts km 63,4 der Strecke Gotha - Mühlhausen (Thür) - Leinefelde
Bereich der gegenläufigen Kilometrierung
Foto: Frank Poppe, November 2005
km 3,5 - aus anderer Sicht
Foto: Frank Poppe, November 2005
Links km 3,7; rechts km 63,4 der Strecke Gotha - Mühlhausen (Thür) - Leinefelde
Blick Richtung Leinefelde
Bereich der gegenläufigen Kilometrierung
Foto: Frank Poppe, November 2005

Lageplan Silberhausen Trennungsbf und Silberhausen ca. 1979
Quelle: Private Sammlung Klaus Erbeck

km 8,5 in Silberhausen Trennungsbf - Blick Richtung Treysa
Links km 58,6 der Strecke Gotha - Mühlhausen (Thür) - Leinefelde
Foto: Dietmar Levie, 20.04.2021

bei km 8,5 in Silberhausen Trennungsbf - Blick Richtung Leinefelde
112 387
Rechts km 58,7 der Strecke Gotha - Mühlhausen (Thür) - Leinefelde
Foto: Stefan Motz, 15.10.1990
km 8,5 in Silberhausen Trennungsbf - Blick Richtung Leinefelde
Rechts das Gleis der Strecke Gotha - Mühlhausen (Thür) - Leinefelde
Foto: Victor M. Lansink, Juli 2009

km 8,5 in Silberhausen Trennungsbf - Blick Richtung Leinefelde
Rechts das Gleis der Strecke Gotha - Mühlhausen (Thür) - Leinefelde
Foto: Dietmar Levie, 20.04.2021

km 8,6 in Silberhausen Trennungsbf - Blick Richtung Leinefelde
Rechts unten das Gleis der Strecke Gotha - Mühlhausen (Thür) - Leinefelde
Foto: Victor M. Lansink, Juli 2009

km 8,6 in Silberhausen Trennungsbf - Blick Richtung Leinefelde
Rechts km 58,6 der Strecke Gotha - Mühlhausen (Thür) - Leinefelde
Foto: Dietmar Levie, 20.04.2021

km 8,7 in Silberhausen Trennungsbf - Blick Richtung Leinefelde
Rechts unten die Strecke Gotha - Mühlhausen (Thür) - Leinefelde
Foto: Dietmar Levie, 20.04.2021

Reste des Überführungsbauwerkes in Silberhausen Trennungsbf bei km 8,8
114 445 befindet sich mit ihrem Zug auf der Strecke Gotha - Mühlhausen (Thür) - Leinefelde bei km 58,4
Foto: Stefan Motz, 15.10.1990

km 9,0 in Silberhausen Trennungsbf - Blick Richtung Leinefelde
Foto: Dietmar Levie, 20.04.2021

km 9,0 in Silberhausen Trennungsbf
Foto: Dietmar Levie, 20.04.2021

km 9,2 zwischen Silberhausen Trennungsbf und Dingelstädt
Foto: Victor M. Lansink, Juli 2009

Die neue Ortsumgehung von Dingelstädt zerschneidet den Bahndamm kurz vor Dingelstädt
Juni 2003

Die neue Ortsumgehung von Dingelstädt zerschneidet den Bahndamm kurz vor Dingelstädt
Juni 2003

Der Kilometerstein als Hausnummer in Dingelstädt
Juni 2003
Der Stein stammt wahrscheinlich von der Kanonenbahn.

km 10,1 in Dingelstädt - Blick Richtung Treysa
Foto: Heiko Metzger, Juli 1991

km 10,1 in Dingelstädt - Blick Richtung Leinefelde
112 428 mit P 18575
Foto: Heiko Metzger, Juli 1991

km 10,2 in Dingelstädt
Foto: Dietmar Levie, 05.06.2016
Viadukt bei Kefferhausen
Foto: Dr. Karl Schlemmer, April 2007

km 15,8
Foto: Sebastian Herzog, September 2020

km 17,2 bei Küllstedt
25.04.2011
km 17,4 bei Küllstedt
25.04.2011
Küllstedter Viadukt
Foto: Dr. Karl Schlemmer, April 2007
auf dem Küllstedter Viadukt
Foto: Dr. Karl Schlemmer, April 2007
km 18,7 bei Küllstedt
Foto: Dr. Karl Schlemmer, April 2007

Ostportal des Küllstedter Tunnels - Blick Richtung Treysa
112 822 mit P 18566
Foto: Heiko Metzger, Juli 1991
Ostportal des Küllstedter Tunnels - Blick Richtung Treysa
25.04.2011
Detail am Ostportal des Küllstedter Tunnels - Blick Richtung Treysa
25.04.2011

Ostportal des Küllstedter Tunnels - Blick Richtung Treysa
08.09.2020
km 19,5 in Bereich des Tunneleinganges am Ostportal des Küllstedter Tunnel
Foto: Dr. Karl Schlemmer, April 2007

Im Küllstedter Tunnel - Blick Richtung Treysa
Foto: Alexander Schmidt, 01.05.2020

Im Küllstedter Tunnel - Blick Richtung Leinefelde
Foto: Alexander Schmidt, 01.05.2020

Im Küllstedter Tunnel - Blick Richtung Leinefelde
Foto: Alexander Schmidt, 01.05.2020

Westportal des Küllstedter Tunnels - Blick Richtung Leinefelde
112 670 mit P 18569
Foto: Heiko Metzger, Juli 1991

Westportal des Küllstedter Tunnels - Blick Richtung Leinefelde
50 3688
Foto: Joachim Diehl, 31.12.1992

Westportal des Küllstedter Tunnels - Blick Richtung Leinefelde
50 3688
Foto: Joachim Diehl, 31.12.1992

Westportal des Küllstedter Tunnels - Blick Richtung Leinefelde
25.04.2011

Westportal des Küllstedter Tunnels - Blick Richtung Leinefelde
Foto: Steffen Buhr, 28.07.2012

Detail am Westportal des Küllstedter Tunnels
25.04.2011

Westportal des Küllstedter Tunnels - Blick Richtung Leinefelde
Foto: Alexander Schmidt, 01.05.2020

Westportal des Küllstedter Tunnels - Blick Richtung Leinefelde
08.09.2020

Markierung am Gleis - km21,4
25.04.2011

Markierung am Gleis - km21,4
25.04.2011

km 21,6
Foto: Steffen Buhr, 28.07.2012

km 22,9
Foto: Sebastian Herzog, September 2020

km 22,9
Foto: Sebastian Herzog, September 2020

Ostportal des Mühlenberg I-Tunnels
25.04.2011

Westportal des Mühlenberg I-Tunnels
25.04.2011

Effelder (Eichsfeld) - Blick zum Westportal des Mühlenberg I-Tunnels
112 822 mit P 18571
Foto: Heiko Metzger, Juli 1991

Effelder (Eichsfeld) - Blick zum Westportal des Mühlenberg I-Tunnels
25.04.2011

km 24,x bei Effelder (Eichsfeld)
Foto: Dr. Karl Schlemmer, April 2007

Mühlenberg II-Tunnel - Nordportal
112 670 mit P 18570
Foto: Heiko Metzger, Juli 1991

Mühlenberg II-Tunnel - Nordportal
Foto: Dr. Karl Schlemmer, April 2007

Südportal des Mühlenberg II-Tunnels
25.04.2011

Ostportal des Heiligenberg-Tunnels
25.04.2011

Blick aus dem Heiligenberg-Tunnel zum Hp Großbartloff
25.04.2011

Westportal des Heiligenberg-Tunnels
25.04.2011

km 25,8 in Großbartloff - Blick Richtung Treysa
08.09.2020

Großbartloff
25.04.2011

km 25,8 in Großbartloff - Blick Richtung Leinefelde
Westportal des Heiligenberg-Tunnels
112 670 mit P 18569
Foto: Heiko Metzger, Juli 1991

km 25,8 in Großbartloff - Blick Richtung Leinefelde
Westportal des Heiligenberg-Tunnels
114 769
Foto: Uwe Bachmann, August 1991

km 25,8 in Großbartloff - Blick Richtung Leinefelde
Westportal des Heiligenberg-Tunnels
Foto: Victor M. Lansink, Juli 2009

km 25,8 in Großbartloff - Blick Richtung Leinefelde
Westportal des Heiligenberg-Tunnels
08.09.2020

km 26,0 in Großbartloff - Blick Richtung Leinefelde
08.09.2020

km 26,0 in Großbartloff - Blick Richtung Leinefelde
08.09.2020

km 26,0 in Großbartloff - Blick Richtung Leinefelde
08.09.2020

km 26,1
Foto: Sebastian Herzog, September 2020

km 26,2
Foto: Sebastian Herzog, September 2020

km 26,5
Foto: Sebastian Herzog, September 2020

km 26,6
Foto: Sebastian Herzog, September 2020

km 26,8
Foto: Sebastian Herzog, September 2020

km 27,0
25.04.2011

km 27,3
Foto: Dr. Karl Schlemmer, April 2007

km 27,6
Foto: Sebastian Herzog, September 2020

km 27,9 - Blick Richtung Treysa
Nordportal des Entenberg-Tunnels
114 769 mit P 18566
Foto: Heiko Metzger, Juli 1991

km 27,9 - Nordportal des Entenberg-Tunnels
25.04.2011

km 27,9 - Detail
25.04.2011

Südportal des Entenberg-Tunnels
25.04.2011

km 28,3 - Südportal des Entenberg-Tunnels
25.04.2011

km 28,3 - Südportal des Entenberg-Tunnels
Foto: Steffen Buhr, 28.07.2012

km 28,6
Foto: Sebastian Herzog, September 2020

km 28,8
Foto: Sebastian Herzog, September 2020

km 29,0
Foto: Sebastian Herzog, September 2020

km 30,1
25.04.2011

Viadukt bei Lengenfeld unterm Stein
Foto: Hubertusviadukt, 1992

Viadukt bei Lengenfeld unterm Stein
25.04.2011

Viadukt bei Lengenfeld unterm Stein
Foto: Hubertusviadukt, 1991

auf dem Viadukt bei Lengenfeld unterm Stein
25.04.2011

km 30,8 in Lengenfeld unterm Stein
17.09.2018

km 30,8 + 50 - kurz vor dem Bf Lengenfeld unterm Stein - nicht ganz Regelkonform
Blick Richtung Treysa
25.04.2011

km 30,8 + 50 - kurz vor dem Bf Lengenfeld unterm Stein - nicht ganz Regelkonform
Blick Richtung Treysa
Foto: Mario Fury Klinke, Juli 2023

km 30,8 + 50 - kurz vor dem Bf Lengenfeld unterm Stein - nicht ganz Regelkonform
Blick Richtung Treysa
Foto: Mario Fury Klinke, Juli 2023

km 30,8 + 50 - kurz vor dem Bf Lengenfeld unterm Stein - nicht ganz Regelkonform
Blick Richtung Leinefelde
Foto: Steffen Buhr, 28.07.2012

km 30,9 in Lengenfeld unterm Stein - Blick Richtung Treysa
17.09.2018

km 30,9 in Lengenfeld unterm Stein
17.09.2018

km 30,9 in Lengenfeld unterm Stein - Blick Richtung Leinefelde
17.09.2018

km 30,9 in Lengenfeld unterm Stein - Blick Richtung Leinefelde
Foto: Mario Fury Klinke, Juli 2023

km 30,9 in Lengenfeld unterm Stein
Foto: Mario Fury Klinke, Juli 2023

km 31,0 in Lengenfeld unterm Stein
17.09.2018

km 31,2 in Lengenfeld unterm Stein - Blick Richtung Treysa
17.09.2018

km 31,2 in Lengenfeld unterm Stein - Überreste
17.09.2018
Draisinenbetrieb ab Bf Lengenfeld unterm Stein

Lengenfeld unterm Stein - Bedeutung der Zahl ist unbekannt
25.04.2011

Lengenfeld unterm Stein
17.09.2018

läutewerk in Lengenfeld unterm Stein
08.09.2020

Lengenfeld unterm Stein - Kilometersteine als Begrenzung
17.09.2018

km 31,8 in Lengenfeld unterm Stein
17.09.2018

km 31,9 in Lengenfeld unterm Stein
17.09.2018

km 32,0 in Lengenfeld unterm Stein
17.09.2018

km 32,0 in Lengenfeld unterm Stein
17.09.2018

km 32,0 in Lengenfeld unterm Stein
17.09.2018

Geismar - 112 539
Foto: Uwe Bachmann, November 1990

Friedatunnel - Ostportal
Foto: Dr. Karl Schlemmer, 2009

Friedatunnel - Westportal
Foto: Dr. Karl Schlemmer, 2009

km 41,6 (?) bei Schwebda
Foto: Dietmar Levie, 20.02.2021

km 41,6 (?) bei Schwebda
Foto: Dietmar Levie, 20.02.2021

km 41,6 (?) bei Schwebda
Foto: Dietmar Levie, 20.02.2021

km 45,0 zwischen Schwebda und Eschwege - Blick Richtung Leinefelde
Foto: Dietmar Levie, 20.02.2021

km 45,8 in Eschwege - Blick Richtung Leinefelde
Foto: Dietmar Levie, 25.02.2014

km 46,0 in Eschwege - Blick Richtung Leinefelde
Foto: Dietmar Levie, 02.03.2023

km 46,0 in Eschwege - Blick Richtung Leinefelde
Foto: Dietmar Levie, 22.04.2023

km 46,0 in Eschwege - Blick Richtung Leinefelde
Detail
Foto: Dietmar Levie, 22.04.2023

bei km 46,2 in Eschwege - Blick Richtung Leinefelde
Foto: Dietmar Levie, 02.03.2023

km 46,4 bei Eschwege - Blick Richtung Treysa
Foto: Dietmar Levie, 25.02.2014

km 46,4 bei Eschwege - Blick Richtung Leinefelde
Foto: Dietmar Levie, 02.03.2023

km 47,0 - Blick Richtung Leinefeld
Foto: Dietmar Levie, 25.02.2014

km 47,2 - Blick Richtung Treysa
Foto: Dietmar Levie, 25.02.2014

km 47,2 - Blick Richtung Leinefelde
Foto: Dietmar Levie, 25.02.2014

km 47,4 - Blick Richtung Treysa
Foto: Dietmar Levie, 02.03.2023

km 47,4 - Blick Richtung Treysa
Foto: Dietmar Levie, 02.03.2023

km 47,4 - Blick Richtung Leinefelde
Foto: Dietmar Levie, 02.03.2023

km 47,6 - Blick Richtung Treysa
Foto: Dietmar Levie, 02.03.2023

km 48,0 - Blick Richtung Leinefelde
Foto: Dietmar Levie, 02.03.2023

km 48,2 - Blick Richtung Treysa
Foto: Dietmar Levie, 02.03.2023

km 48,3 (?) zwischen Eschwege und Eschwege West (früher Niederhone) - 798 632 als 8166
Foto: Andreas Tscharn, 12.02.1985

Detailausschnitt
Foto: Andreas Tscharn, 12.02.1985

km 49,8 in Eschwege West (früher Niederhone)
km 201,0 gehört zur Strecke
Frankfurt (Main) Hbf 0,0 - Hanau Hbf 22,92 - Schlüchtern 74,34 - (bis 1913: Elm 82,0 - Flieden 92,3) - (ab 1913 Distelrasentunnel) Flieden 85,24 = 92,20 (siehe auch Tabelle 5, Ziffer 3) - Fulda 110,56 - Bebra 166,56 - Niederhone 201,61 - Göttingen 246,73
Foto: Dietmar Levie, 04.05.2019

km 49,8 in Eschwege West (früher Niederhone)
km 201,0 gehört zur Strecke
Frankfurt (Main) Hbf 0,0 - Hanau Hbf 22,92 - Schlüchtern 74,34 - (bis 1913: Elm 82,0 - Flieden 92,3) - (ab 1913 Distelrasentunnel) Flieden 85,24 = 92,20 (siehe auch Tabelle 5, Ziffer 3) - Fulda 110,56 - Bebra 166,56 - Niederhone 201,61 - Göttingen 246,73
Foto: Dietmar Levie, 04.05.2019

km 49,8 in Eschwege West (früher Niederhone)
km 201,0 gehört zur Strecke
Frankfurt (Main) Hbf 0,0 - Hanau Hbf 22,92 - Schlüchtern 74,34 - (bis 1913: Elm 82,0 - Flieden 92,3) - (ab 1913 Distelrasentunnel) Flieden 85,24 = 92,20 (siehe auch Tabelle 5, Ziffer 3) - Fulda 110,56 - Bebra 166,56 - Niederhone 201,61 - Göttingen 246,73
Foto: Dietmar Levie, 04.05.2019

km 49,8 in Eschwege West (früher Niederhone)
km 201,4 gehört zur Strecke
Frankfurt (Main) Hbf 0,0 - Hanau Hbf 22,92 - Schlüchtern 74,34 - (bis 1913: Elm 82,0 - Flieden 92,3) - (ab 1913 Distelrasentunnel) Flieden 85,24 = 92,20 (siehe auch Tabelle 5, Ziffer 3) - Fulda 110,56 - Bebra 166,56 - Niederhone 201,61 - Göttingen 246,73
Foto: Martin Welzel, 01.08.2024

km 49,8 in Eschwege West (früher Niederhone)
km 201,0 gehört zur Strecke
Frankfurt (Main) Hbf 0,0 - Hanau Hbf 22,92 - Schlüchtern 74,34 - (bis 1913: Elm 82,0 - Flieden 92,3) - (ab 1913 Distelrasentunnel) Flieden 85,24 = 92,20 (siehe auch Tabelle 5, Ziffer 3) - Fulda 110,56 - Bebra 166,56 - Niederhone 201,61 - Göttingen 246,73
Foto: Martin Welzel, 01.08.2024

km 50,0 zwischen Eschwege West (früher Niederhone) und Reichensachsen West
Foto: Klaus D. Holzborn, 01.03.2013 www.78er.de

km 50,0 zwischen Eschwege West (früher Niederhone) und Reichensachsen West
In unmittelbarer Nähe steht die Kilometertafel km 200,8 der Strecke
Frankfurt (Main) Hbf 0,0 - Hanau Hbf 22,97 - Schlüchtern 74,35 - (bis 1913: Elm 82,0 - Flieden 92,3) - (ab 1913 Distelrasentunnel) Flieden 85,24 = 92,19 (siehe auch Tabelle 5, Ziffer 3) - Fulda 110,57 - Bebra 166,55 - Eschwege West 201,56 - Göttingen 247,11
Foto: Manfred Britz, 2017

km 50,2 zwischen Eschwege West (früher Niederhone) und Reichensachsen West
Foto: Jens Baumhauer, 18.01.2012

Brückenreste zwischen Eschwege West (früher Niederhone) und Reichensachsen West
Unten die Bundesstraße 27 und die Strecke
Frankfurt (Main) Hbf 0,0 - Hanau Hbf 22,97 - Schlüchtern 74,35 - (bis 1913: Elm 82,0 - Flieden 92,3) - (ab 1913 Distelrasentunnel) Flieden 85,24 = 92,19 (siehe auch Tabelle 5, Ziffer 3) - Fulda 110,57 - Bebra 166,55 - Eschwege West 201,56 - Göttingen 247,11
Foto: Jan Höpel, 2017

km 51,8 zwischen Eschwege West (früher Niederhone) und Reichensachsen West
Foto: Jan Höpel, 2017

km 55,3 (?) zwischen Reichensachsen West und Bischhausen
Foto: Dietmar Levie, 25.03.2018

km 56,3 (?) zwischen Reichensachsen West und Bischhausen
Foto: Dietmar Levie, 25.03.2018

km 58,0 bei Bischhausen
Foto: Dietmar Levie, 31.07.2018

km 58,7 zwischen Bischhausen und Waldkappel
Foto: Romano Kurt Sawikowsky, 06.10.2018

km 59,0 zwischen Bischhausen und Waldkappel
23.06.2018

Streckenanfang in km 58,830 zwischen Bischhausen und Waldkappel - Blick Richtung Leinefelde
Foto: Dietmar Levie, 27.02.2022

km 59,0 zwischen Bischhausen und Waldkappel - Blick Richtung Leinefelde
Foto: Romano Kurt Sawikowsky, Juli 2024

km 59,1 zwischen Bischhausen und Waldkappel - Blick Richtung Treysa
Foto: Dietmar Levie, 27.02.2022

km 59,1 zwischen Bischhausen und Waldkappel
23.06.2018

km 59,1 zwischen Bischhausen und Waldkappel
23.06.2018

km 59,1 zwischen Bischhausen und Waldkappel - Blick Richtung Leinefelde
Foto: Dietmar Levie, 27.02.2022

km 59,4 zwischen Bischhausen und Waldkappel - Blick Richtung Treysa
Foto: Dietmar Levie, 27.02.2022

km 59,4 zwischen Bischhausen und Waldkappel
23.06.2018

km 59,4 zwischen Bischhausen und Waldkappel - Blick Richtung Leinefelde
23.06.2018

km 59,4 zwischen Bischhausen und Waldkappel - Blick Richtung Leinefelde
Der Verein zum Erhalt der Signaltechnik setzt neue Telegafenmasten
Foto: Romano Kurt Sawikowsky, März 2019

km 59,4 zwischen Bischhausen und Waldkappel - Blick Richtung Leinefelde
Foto: Dietmar Levie, 27.02.2022

km 59,4 zwischen Bischhausen und Waldkappel - Blick Richtung Leinefelde
Foto: Romano Kurt Sawikowsky, Juli 2024

km 59,6 zwischen Bischhausen und Waldkappel - Blick Richtung Treysa
Foto: Romano Kurt Sawikowsky, April 2020

km 59,6 zwischen Bischhausen und Waldkappel - Blick Richtung Treysa
Foto: Dietmar Levie, 27.02.2022

km 59,6 zwischen Bischhausen und Waldkappel - Blick Richtung Leinefelde
Foto: Romano Kurt Sawikowsky, April 2020

km 59,7 zwischen Bischhausen und Waldkappel
Foto: Romano Kurt Sawikowsky, November 2020

km 59,7 zwischen Bischhausen und Waldkappel - Blick Richtung Leinefelde
Foto: Romano Kurt Sawikowsky, November 2020

km 59,8 zwischen Bischhausen und Waldkappel - Blick Richtung Treysa
Foto: Romano Kurt Sawikowsky, Juli 2019
km 59,8 zwischen Bischhausen und Waldkappel
Foto: Romano Kurt Sawikowsky, Dezember 2021

km 59,8 zwischen Bischhausen und Waldkappel - Blick Richtung Treysa
Foto: Dietmar Levie, 27.02.2022

km 59,8 zwischen Bischhausen und Waldkappel - Blick Richtung Leinefelde
Foto: Dietmar Levie, 27.02.2022

km 60,0 zwischen Bischhausen und Waldkappel - Blick Richtung Treysa
Foto: Dietmar Levie, 27.02.2022

km 60,0 zwischen Bischhausen und Waldkappel
Foto: Romano Kurt Sawikowsky, Dezember 2020

km 60,0 zwischen Bischhausen und Waldkappel
Foto: Romano Kurt Sawikowsky, Dezember 2020

km 60,0 zwischen Bischhausen und Waldkappel - Blick Richtung Leinefelde
Foto: Romano Kurt Sawikowsky, Dezember 2020

km 60,0 zwischen Bischhausen und Waldkappel - Blick Richtung Leinefelde
Foto: Dietmar Levie, 27.02.2022

km 60,2 (Tafel und Stein) zwischen Bischhausen und Waldkappel - Blick Richtung Treysa
Foto: Romano Kurt Sawikowsky, Januar 2022

km 60,2 zwischen Bischhausen und Waldkappel - Blick Richtung Treysa
Foto: Dietmar Levie, 27.02.2022

km 60,2 zwischen Bischhausen und Waldkappel - Blick Richtung Leinefelde
Foto: Romano Kurt Sawikowsky, Januar 2022

km 60,2 (Tafel und Stein) zwischen Bischhausen und Waldkappel - Blick Richtung Leinefelde
Foto: Romano Kurt Sawikowsky, Januar 2022

km 60,2 zwischen Bischhausen und Waldkappel - Blick Richtung Leinefelde
Foto: Dietmar Levie, 27.02.2022

km 60,2 (Tafel und Stein) zwischen Bischhausen und Waldkappel - Blick Richtung Leinefelde
Foto: Romano Kurt Sawikowsky, Mai 2026

km 60,3 zwischen Bischhausen und Waldkappel
Foto: Romano Kurt Sawikowsky, September 2021

km 60,5 zwischen Bischhausen und Waldkappel
Foto: Romano Kurt Sawikowsky, Dezember 2019

km 60,6 zwischen Bischhausen und Waldkappel
Bei Freischneidearbeiten entdeckt
Foto: Romano Kurt Sawikowsky, 03.01.2019
km 60,6 zwischen Bischhausen und Waldkappel
Foto: Romano Kurt Sawikowsky, 03.01.2019
km 60,6 zwischen Bischhausen und Waldkappel
Foto: Romano Kurt Sawikowsky, 03.01.2019

km 60,7 zwischen Bischhausen und Waldkappel - Blick Richtung Treysa
Foto: Dietmar Levie, 27.02.2022

km 60,7 zwischen Bischhausen und Waldkappel
Foto: Romano Kurt Sawikowsky, September 2018

km 60,7 zwischen Bischhausen und Waldkappel - Blick Richtung Leinefelde
Foto: Romano Kurt Sawikowsky, September 2018

km 60,7 zwischen Bischhausen und Waldkappel - Blick Richtung Leinefelde
Foto: Dietmar Levie, 27.02.2022
km 60,7 zwischen Bischhausen und Waldkappel - Blick Richtung Leinefelde
Foto: Romano Kurt Sawikowsky, Juli 2024

Freischneidearbeiten zwischen Bischhausen und Waldkappel
bei km 60,8 zwischen Bischhausen und Waldkappel - Blick Richtung Leinefelde
Foto: Romano Kurt Sawikowsky, September 2018

km 60,8 zwischen Bischhausen und Waldkappel
Foto: Romano Kurt Sawikowsky, November 2018

km 61,8 zwischen Bischhausen und Waldkappel
Foto: Victor M. Lansink, Juli 2009
km 61,9 zwischen Bischhausen und Waldkappel
Foto: Victor M. Lansink, Juli 2009

Ostportal des Bischofferoder Tunnels
Foto: Victor M. Lansink, Juli 2009

Ostportal des Bischofferoder Tunnels
Foto: Victor M. Lansink, Juli 2009

km 84,1 zwischen Spangenberg und Mörshausen
Foto: Dietmar Levie, 2018

Malsfeld
Überquerung der Strecke Halle (Saale) Hbf - Erfurt Hbf - Eisenach - Bebra - Guntershausen mit km 235,4
Links noch zu erkennen die Fuldbrücke
Foto: Dietmar Levie, 2018
km 90,0 in Malsfeld
Der Stein liegt jetzt am Streckenast
[Halle (Saale) Hbf 0,0] - Beiseförth 233,09 - Malsfeld Bf 235,55
21.01.2020
km 90,0 in Malsfeld
Der Stein liegt jetzt am Streckenast
[Halle (Saale) Hbf 0,0] - Beiseförth 233,09 - Malsfeld Bf 235,55
21.01.2020
km 90,0 in Malsfeld
Der Stein liegt jetzt am Streckenast
[Halle (Saale) Hbf 0,0] - Beiseförth 233,09 - Malsfeld Bf 235,55
21.01.2020

km 90,0 in Malsfeld
Der Stein liegt jetzt am Streckenast
[Halle (Saale) Hbf 0,0] - Beiseförth 233,09 - Malsfeld Bf 235,55
Foto: René Ilmert, 22.03.2023

km 96,0 zwischen Malsfeld und Niederbeisheim
Foto: Dietmar Levie, 31.07.2018

km 97,3 zwischen Malsfeld und Niederbeisheim
Foto: Dietmar Levie, 14.08.2021

km 97,3 zwischen Malsfeld und Niederbeisheim
Foto: Dietmar Levie, 14.08.2021

km 98,6 zwischen Niederbeisheim und Oberbeisheim
Foto: Nela Mausi, 2013-2017

km 100,5 zwischen Niederbeisheim und Oberbeisheim
Foto: Nela Reimer, Mai 2020

km 100,7 zwischen Niederbeisheim und Oberbeisheim
Foto: Nela Reimer, Mai 2020
km 101,1 in Oberbeisheim
Foto: Stefan Sitzmann, 1988

km 101,4 in Oberbeisheim
Foto: Nela Reimer, Mai 2020

am Tunnel Oberbeisheim
Foto: Nela Reimer, Mai 2020

Nordostportal des Oberbeisheimer Tunnels
Foto: Victor M. Lansink, Juli 2009

Nordostportal des Oberbeisheimer Tunnels
Foto: Jan Höpel, 04.05.2019

Nordostportal des Oberbeisheimer Tunnels
Foto: Nela Reimer, Mai 2020

km 101,7 im Oberbeisheimer Tunnel
Foto: Victor M. Lansink, Juli 2009

km 101,7 im Oberbeisheimer Tunnel
Foto: Jan Höpel, 04.05.2019

km 101,7 im Oberbeisheimer Tunnel
Foto: Nela Reimer, Mai 2020

km 101,8 im Oberbeisheimer Tunnel
Foto: Victor M. Lansink, Juli 2009

km 101,8 im Oberbeisheimer Tunnel
Foto: Jan Höpel, 04.05.2019

km 101,9 im Oberbeisheimer Tunnel
Foto: Victor M. Lansink, Juli 2009

km 101,9 im Oberbeisheimer Tunnel
Foto: Jan Höpel, 04.05.2019

km 102,4 im Oberbeisheimer Tunnel
Foto: Victor M. Lansink, Juli 2009

km 102,4 im Oberbeisheimer Tunnel
Foto: Jan Höpel, 04.05.2019

km 102,5 im Oberbeisheimer Tunnel
Foto: Victor M. Lansink, Juli 2009

Südwestportal des Oberbeisheimer Tunnels - Blick Richtung Leinefelde
Foto: Jan Höpel, 04.05.2019

Südwestportal des Oberbeisheimer Tunnels
Foto: Victor M. Lansink, Juli 2009

Südwestportal des Oberbeisheimer Tunnels
Foto: Jan Höpel, 04.05.2019

Südwestportal des Oberbeisheimer Tunnels
Foto: Sebastian Herzog, 27.05.2020

km 102,6 (?)
Foto: Jan Höpel, 04.05.2019

km 103,0
Foto: Jan Höpel, 04.05.2019

km 103,2
Foto: Jan Höpel, 04.05.2019

km 103,2
Foto: Jan Höpel, 04.05.2019

km 103,3
Foto: Jan Höpel, 04.05.2019

km 103,3
Foto: Jan Höpel, 04.05.2019

km 103,5
Foto: Jan Höpel, 04.05.2019

km 103,5
Foto: Jan Höpel, 04.05.2019

Viadukt bei Remsfeld
Foto: Jan Höpel, September 2018

Viadukt bei Remsfeld
Foto: Jan Höpel, September 2018

km 105,0 zwischen Remsfeld und Homberg (Kr Kassel)
Foto: Jan Höpel, September 2018

km 105,0 zwischen Remsfeld und Homberg (Kr Kassel)
Foto: Jan Höpel, September 2018

km 105,0 zwischen Remsfeld und Homberg (Kr Kassel)
Foto: Sebastian Herzog, 13.07.2019

108,7 in Homberg (Kr Kassel)
Foto: Nela Mausi, 2013-2017

108,8 in Homberg (Kr Kassel) - 798 603
Man beachte auch die Negativ-Flügel am rechten Signal.
Foto: Stefan Motz, 24.04.1981
28 Jahre später

km 108,8 in Homberg (Bez Kassel)
Foto: Victor M. Lansink, Juli 2009

km 108,9 in Homberg (Bez Kassel)
Foto: Stefan Sitzmann

km 112,3 in Sondheim
Foto: Marcel Quandt, 07.10.2020

BÜ km 113,895 in Wernswig
Foto: Dietmar Levie, 27.04.2021

Wernswig
BÜ km 16,6 passt aber nicht zur Strecke, vielleicht von einem Eisenbahnfreund
Foto: Dietmar Levie, 27.04.2021

km 116,0 zwischen Wernswig und Frielendorf
Foto: Sebastian Herzog, 13.07.2019

Frielendorf
Foto: Sebastian Herzog, 13.07.2019

km 117,7 zwischen Frielendorf und Leimsfeld (Bez Kassel)
Foto: Sebastian Herzog, 27.05.2020

km 117,8 zwischen Frielendorf und Leimsfeld (Bez Kassel)
Foto: Sebastian Herzog, 27.05.2020

km 117,9 zwischen Frielendorf und Leimsfeld (Bez Kassel)
Foto: Sebastian Herzog, 27.05.2020

km 127,3 zwischen Ziegenhain (Bez Kassel) Nord und Treysa
Foto: Sebastian Herzog, 13.07.2019

km 128,1 zwischen Ziegenhain (Bez Kassel) Nord und Treysa
Foto: Jan Höpel, 01.05.2019

km 128,1 zwischen Ziegenhain (Bez Kassel) Nord und Treysa - Blick Richtung Leinefelde
Foto: Stefan Sitzmann, November 2022

km 128,2 zwischen Ziegenhain (Bez Kassel) Nord und Treysa
Foto: Jan Höpel, 01.05.2019

km 128,2 zwischen Ziegenhain (Bez Kassel) Nord und Treysa
Foto: Jan Höpel, 01.05.2019

km 128,3 zwischen Ziegenhain (Bez Kassel) Nord und Treysa
Foto: Jan Höpel, 01.05.2019

km 128,3 zwischen Ziegenhain (Bez Kassel) Nord und Treysa
Foto: Jan Höpel, 01.05.2019

km 128,5 zwischen Ziegenhain (Bez Kassel) Nord und Treysa
Foto: Jan Höpel, 01.05.2019

km 128,6 zwischen Ziegenhain (Bez Kassel) Nord und Treysa
Gleisanschluss Bundeswehr
Von rechts die Strecke aus Richtung Leinefelde, nach links zum Anschluss
Foto: Jan Höpel, 01.05.2019

km 128,6 (zugewachsen) zwischen Ziegenhain (Bez Kassel) Nord und Treysa
Gleisanschluss Bundeswehr
Von rechts die Strecke aus Richtung Leinefelde, nach links zum Anschluss
Foto: Sebastian Herzog, 13.07.2019

km 128,6 zwischen Ziegenhain (Bez Kassel) Nord und Treysa
Foto: Jan Höpel, 01.05.2019

km 128,7 zwischen Ziegenhain (Bez Kassel) Nord und Treysa
Foto: Jan Höpel, 01.05.2019

km 129,4 in Treysa
Foto: Matthias Manske, 08.06.2019

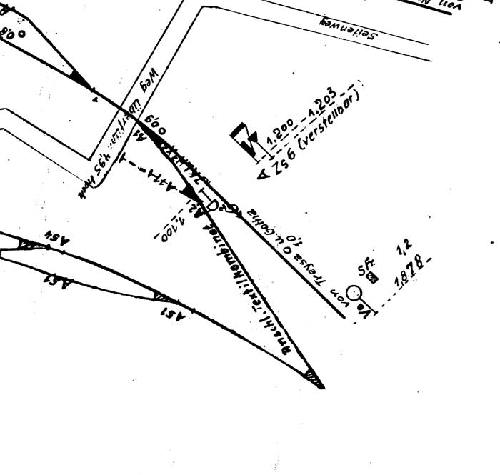
km 129,4 (Stein) in Treysa
km 61,6 (Stein und Tafel) gehört zur Strecke Kassel Hbf - Gießen - Friedberg (Hess) - Frankfurt (Main) West; 1978 verlängert bis Frankfurt (Main) Hbf
Foto: Matthias Manske, 22.09.2019

km 129,7 in Treysa
Foto: Matthias Manske, 08.06.2019

km 129,7 in Treysa
Links ist noch km 61,9 der Strecke
Kassel Hbf - Gießen - Friedberg (Hess) - Frankfurt (Main) West; 1978 verlängert bis Frankfurt (Main) Hbf zu erkennen
Rechts im Schatten ist km 59,4 der Strecke
Bad Hersfeld - Treysa
Foto: Dietmar Levie, 14.08.2021

km 129,7 in Treysa
km 61,9 gehört zur Strecke
Kassel Hbf - Gießen - Friedberg (Hess) - Frankfurt (Main) West; 1978 verlängert bis Frankfurt (Main) Hbf
Foto: Dietmar Levie, 14.08.2021

km 129,7 in Treysa
km 62,0 gehört zur Strecke
Kassel Hbf - Gießen - Friedberg (Hess) - Frankfurt (Main) West; 1978 verlängert bis Frankfurt (Main) Hbf
km 59,4 gehört zur Strecke
Bad Hersfeld - Treysa
Foto: Thomas Sandner, 20.03.2022

E 18 047 im Bf Treysa
Foto: Ulrich Steuber, 04.09.2010

km 129,8 der Strecke Leinefelde - Treysa - E18 047
km 62,0 der Strecke Kassel Hbf - Gießen - Friedberg (Hess) - Frankfurt (Main) West; 1978 verlängert bis Frankfurt (Main) Hbf
Foto: Ulrich Steuber, 04.09.2010

km 129,8 in Treysa - 628 311 und 928 311 als RB 23275
km 62,0 der Strecke Kassel Hbf - Gießen - Friedberg (Hess) - Frankfurt (Main) West; 1978 verlängert bis Frankfurt (Main) Hbf
Foto: Claus Ochs, 25.04.2015

km 129,8 in Treysa
km 59,6 gehört zur Strecke Bad Hersfeld - Treysa
km 62,0 gehört zur Strecke Kassel Hbf - Gießen - Friedberg (Hess) - Frankfurt (Main) West; 1978 verlängert bis Frankfurt (Main) Hbf
Foto: Matthias Manske, 08.06.2019

km 129,8 in Treysa
km 62,0 gehört zur Strecke Kassel Hbf - Gießen - Friedberg (Hess) - Frankfurt (Main) West; 1978 verlängert bis Frankfurt (Main) Hbf
Foto: Dietmar Levie, 14.08.2021

km 130,0 in Treysa - 110 428
Foto: Wolf-Dietmar Loos, 23.05.2012
| Startseite | Strecken in Deutschland (Tabelle1) | Strecken in Thüringen | Kilometrierung | Impressum |